 Aurivillius NHRS Sal Leopoldo, Rio Grande do Sul, Brazil JS Moure.jpg)
Specimen Type: holotype Institution: NHRS Naturhistoriska Riksmuseet, Stockholm, Sweden Photographer: JS Moure Collection Location: Sal Leopoldo, Rio Grande do Sul, Brazil 79106
|

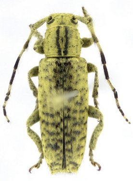
Institution: ZSM Zoologische Staatssammlung, München, Germany Photographer: Steve Lingafelter Determiner: Huedepohl Collection Location: Brazil 29724
|