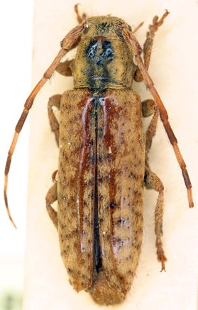
_Breun_BMNH_LaPaz_Bolivia_LGB.jpg)
Specimen Type: holotype Institution: BMNH British Museum Natural History, London, UK Photographer: Larry G. Bezark Collection Location: La Paz, Bolivia 46429
|
_Breun_BMNH_LaPaz_Bolivia_LGB.jpg)
Specimen Type: holotype Institution: BMNH British Museum Natural History, London, UK Photographer: Larry G. Bezark Collection Location: La Paz, Bolivia 46430
|

Institution: ZSM Zoologische Staatssammlung, München, Germany Photographer: Steve Lingafelter Determiner: Monne Collection Location: Coroio or Yungas, Bolivia 29723
|
|