 Fisher IEEA Paraguay now Bebelis SS.jpg)
Dorcasta inaequalis Fisher Specimen Type: holotype Institution: IEEA Photographer: Antonio Santos-Silva Collection Location: Paraguay 6754
|
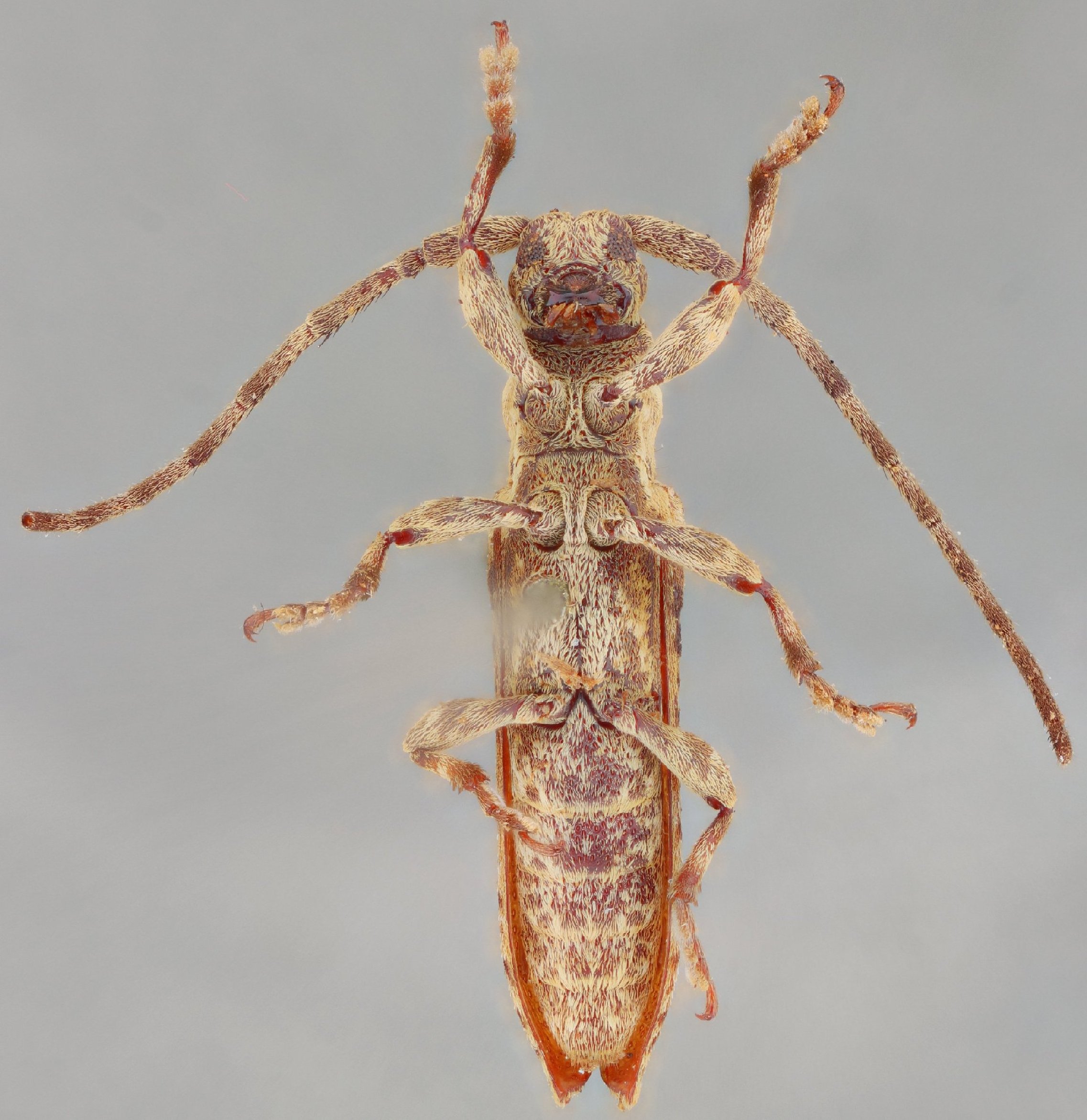
 Fisher IEEA Paraguay now Bebelis SS.jpg)
Dorcasta inaequalis Fisher Specimen Type: holotype Institution: MZSP Museu de Zoologia da Universidade de São Paulo, Brazil Photographer: Antonio Santos-Silva Collection Location: Paraguay 78002
|