_Bates_BMNH_Pancina_Verapaz_Guat_now_Bebelis_LGB.jpg)
Dorcasta longipennis Bates Specimen Type: lectotype Sex: m? Institution: BMNH British Museum Natural History, London, UK Photographer: Larry G. Bezark Collection Location: Pancina, Verapaz, Guatemala 46637
|
_Bates_BMNH_Pancina_Verapaz_Guat_now_Bebelis_LGB.jpg)
Dorcasta longipennis Bates Specimen Type: lectotype Sex: m? Institution: BMNH British Museum Natural History, London, UK Photographer: Larry G. Bezark Collection Location: Pancina, Verapaz, Guatemala 46638
|
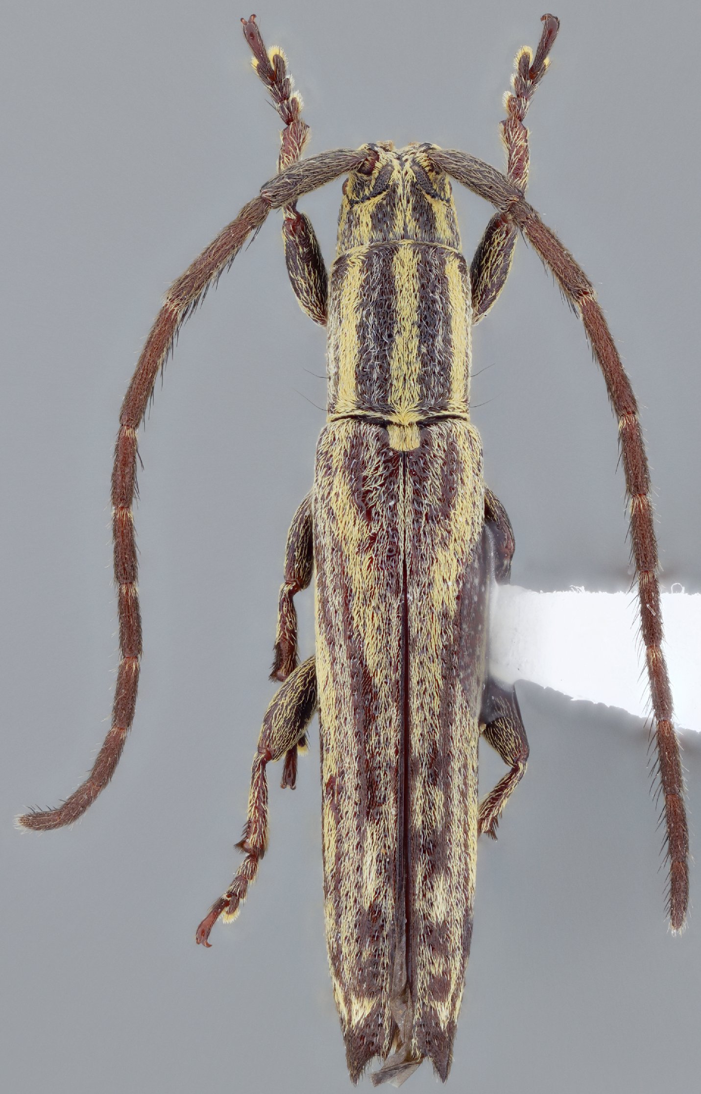
 Bates BMNH Pancina, Verapaz, Guatemala now Bebelis Moure.jpg)
Dorcasta longipennis Bates Specimen Type: lectotype Sex: m? Institution: BMNH British Museum Natural History, London, UK Photographer: JS Moure Collection Location: Pancina, Verapaz, Guatemala 16131
|
_(Bates)_DJH_3miSW_Gomez_Farias_Tam_Mexico_SS.jpg)
Sex: m Institution: Heffern Collection Photographer: Antonio Santos-Silva Collection Location: 3 mi SW Gomez Farias, Tamaulipas, Mexico 71524
|
_Det_Chemsak_Costa_Rica_UCB.jpg)
Institution: UCB Essig Museum of Entomology, Berkeley, California, USA Photographer: Larry G. Bezark Determiner: John Chemsak Collection Location: Costa Rica 4982
|
_FTH.jpg)
Institution: FTH Frank T. Hovore collection (now at California Academy of Sciences) Photographer: Larry G. Bezark 4983
|
|