 Bates MNHN now Bebelis Moure.jpg)
Dorcasta lignea Bates Specimen Type: holotype Institution: MNHN Museum of Natural History Paris, France Photographer: JS Moure Collection Location: Santarem, Para, Brazil 80433
|
_Bates_MNHN_FTH_=_Bebelis_lignea.jpg)
Dorcasta lignea Bates Specimen Type: holotype Institution: MNHN Museum of Natural History Paris, France 16130
|
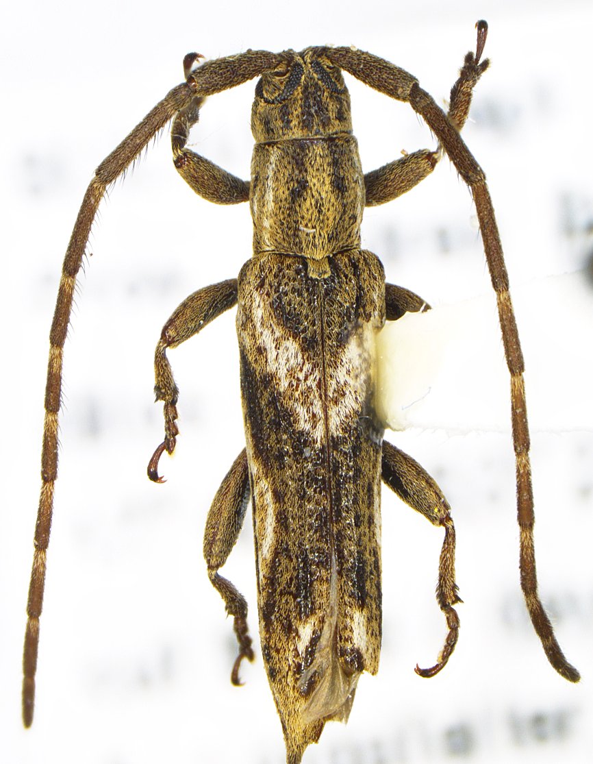
 Fisher IEEA Mar de Hespanha, Minas Gerais, Brazil now lignea SS.jpg)
Dorcasta prolongata Fisher Specimen Type: holotype Sex: m Institution: MZSP Museu de Zoologia da Universidade de São Paulo, Brazil Photographer: Antonio Santos-Silva Collection Location: Mar de Hespenha, Minas Gerais, Brazil 6756
|

Photographer: Steve Lingafelter Determiner: Antonio Santos-Silva Collection Location: Potrerillos del Guenda, Santa Cruz, Bolivia 77617
|
|