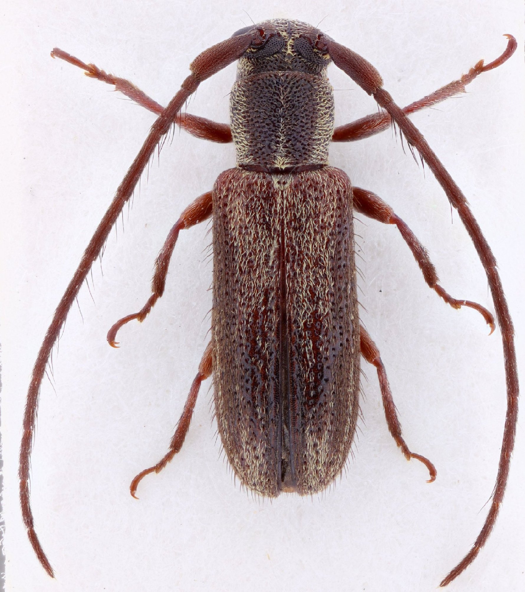
 Bates MNHN Santarem, Para, Brazil Karen Salazar.jpg)
Specimen Type: holotype Institution: MNHN Museum of Natural History Paris, France Photographer: Karen Salazar Collection Location: Santarem, Para, Brazil 15149
|
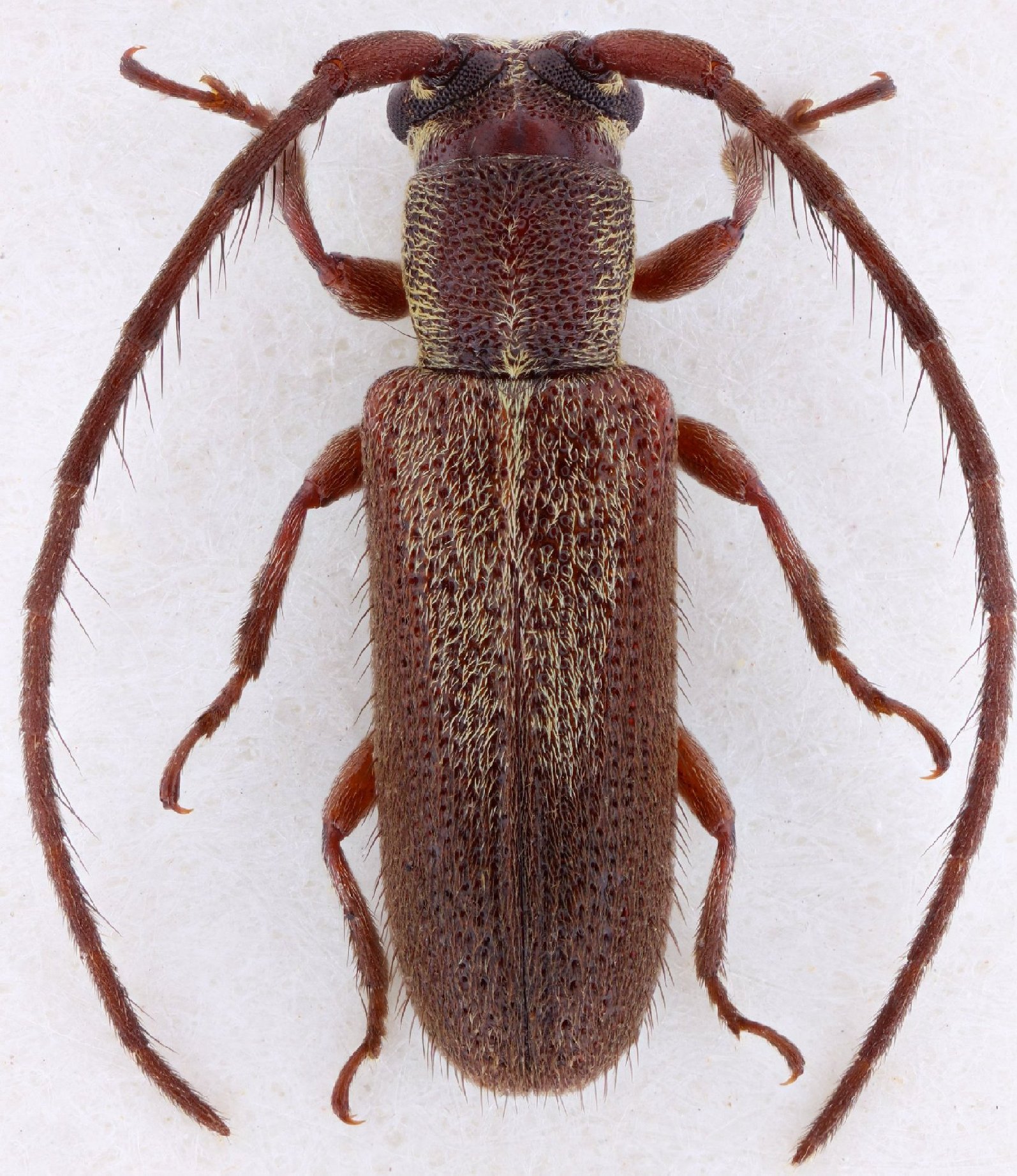
 Bates MNHN Santarem, Para, Brazil Tava.jpg)
Specimen Type: holotype Institution: MNHN Museum of Natural History Paris, France Photographer: Gerard Tavakilian Collection Location: Santarem, Para, Brazil 81065
|
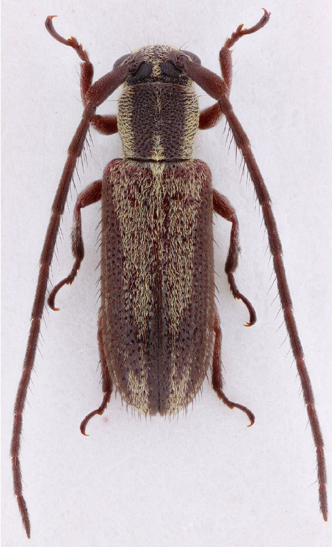
_Bates_MZSP_Taguatinga_Distrito_Federal_Brazil_SS.jpg)
Sex: m Institution: MZSP Museu de Zoologia da Universidade de São Paulo, Brazil Photographer: Antonio Santos-Silva Collection Location: Taguatinga, Distrito Federal, Brazil 73490
|
_Bates_MZSP_Taguatinga_Distrito_Federal_Brazil_SS.jpg)
Sex: m Institution: MZSP Museu de Zoologia da Universidade de São Paulo, Brazil Photographer: Antonio Santos-Silva Collection Location: Taguatinga, Distrito Federal, Brazil 73491
|
_Bates_MZSP_Taguatinga_Distrito_Federal_Brazil_SS.jpg)
Sex: m Institution: MZSP Museu de Zoologia da Universidade de São Paulo, Brazil Photographer: Antonio Santos-Silva Collection Location: Taguatinga, Distrito Federal, Brazil 73492
|
_Bates_MZSP_Taguatinga_Distrito_Federal_Brazil_SS.jpg)
Sex: m Institution: MZSP Museu de Zoologia da Universidade de São Paulo, Brazil Photographer: Antonio Santos-Silva Collection Location: Taguatinga, Distrito Federal, Brazil 73493
|
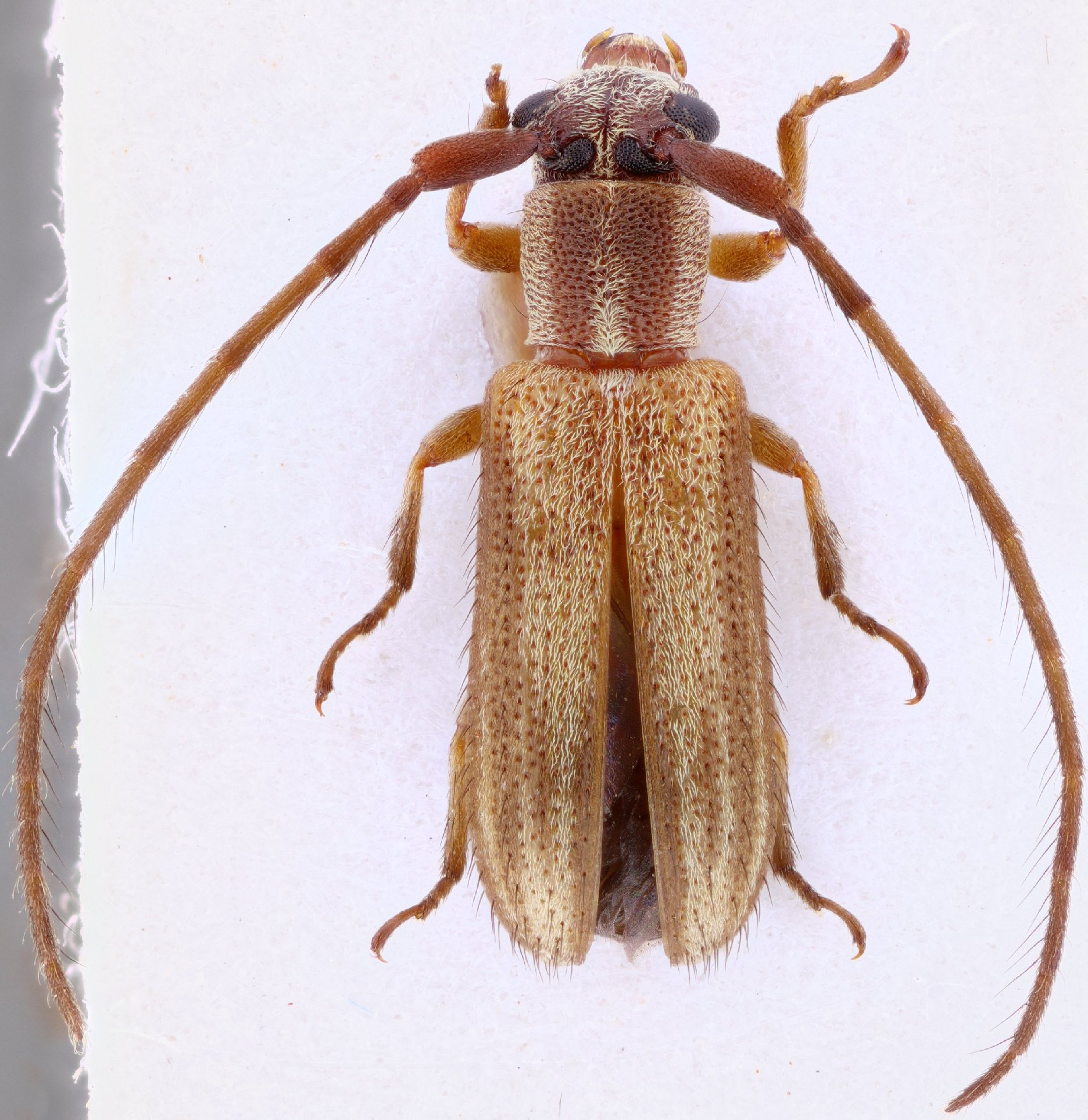
_Bates_LGBC_62kmSE_Ariquemes_Rondonia_Brazil_SS.jpg)
Sex: m Institution: LGBC Larry G. Bezark Collection, Sacramento, California, USA Photographer: Antonio Santos-Silva Collection Location: 62 km SE Ariquemes, Rondonia, Brazil 73488
|
_Bates_LGBC_62kmSE_Ariquemes_Rondonia_Brazil_SS.jpg)
Sex: m Institution: LGBC Larry G. Bezark Collection, Sacramento, California, USA Photographer: Antonio Santos-Silva Collection Location: 62 km SE Ariquemes, Rondonia, Brazil 73489
|
 Bates Tav coll Roura, French Guiana SS.jpg)
Sex: m Institution: Tavakilian Collection Photographer: Antonio Santos-Silva Collection Location: Roura, French Guiana 81066
|
 Bates Tav coll Roura, French Guiana SS.jpg)
Sex: m Institution: Tavakilian Collection Photographer: Antonio Santos-Silva Collection Location: Roura, French Guiana 81067
|
 Bates Tav coll Roura, French Guiana SS.jpg)
Sex: m Institution: Tavakilian Collection Photographer: Antonio Santos-Silva Collection Location: Roura, French Guiana 81068
|
 Bates Tav coll Roura, French Guiana SS.jpg)
Sex: m Institution: Tavakilian Collection Photographer: Antonio Santos-Silva Collection Location: Roura, French Guiana 81069
|
 Bates Tav coll pk 3, Kaw, French Guiana SS.jpg)
Sex: f Institution: Tavakilian Collection Photographer: Antonio Santos-Silva Collection Location: pk 3 Kaw, French Guiana 81070
|
 Bates Tav coll pk 3, Kaw, French Guiana SS.jpg)
Sex: f Institution: Tavakilian Collection Photographer: Antonio Santos-Silva Collection Location: pk 3 Kaw, French Guiana 81071
|
 Bates Tav coll Longi Creek, Sinnamary, French Guiana SS.jpg)
Sex: m Institution: Tavakilian Collection Photographer: Antonio Santos-Silva Collection Location: Longi Creek, Sinnamary, French Guiana 81218
|
 Bates Tav coll pk 3, Kaw, French Guiana SS.jpg)
Sex: f Institution: Tavakilian Collection Photographer: Antonio Santos-Silva Collection Location: pk 3 Kaw, French Guiana 81072
|
 Bates Tav coll pk 38, Kaw, French Guiana SS.jpg)
Sex: m Institution: Tavakilian Collection Photographer: Antonio Santos-Silva Collection Location: pk 38 Kaw, French Guiana 81073
|
 Bates Tav coll pk 38, Kaw, French Guiana SS.jpg)
Sex: m Institution: Tavakilian Collection Photographer: Antonio Santos-Silva Collection Location: pk 38 Kaw, French Guiana 81074
|
 Bates Tav coll pk 38, Kaw, French Guiana SS.jpg)
Sex: m Institution: Tavakilian Collection Photographer: Antonio Santos-Silva Collection Location: pk 38 Kaw, French Guiana 81075
|
 Bates Tav coll Longi Creek, Sinnamary, French Guiana SS.jpg)
Sex: m Institution: Tavakilian Collection Photographer: Antonio Santos-Silva Collection Location: Longi Creek, Sinnamary, French Guiana 81216
|
 Bates Tav coll Longi Creek, Sinnamary, French Guiana SS.jpg)
Sex: m Institution: Tavakilian Collection Photographer: Antonio Santos-Silva Collection Location: Longi Creek, Sinnamary, French Guiana 81217
|