_Aurivillius_NHRS_Rio_De_Janeiro_Brazil_SS.jpg)
Amphicnaeia cordigera Aurivillius Specimen Type: syntype Institution: NHRS Naturhistoriska Riksmuseet, Stockholm, Sweden Collection Location: Rio de Janeiro, Brazil 69074
|
_Breuning_BMNH_Rio_RJ_Braz6.jpg)
Aletretia rufescens Breuning Specimen Type: holotype Institution: BMNH British Museum Natural History, London, UK Collection Location: Rio de Janeiro, Rio de Janeiro, Brazil 64325
|
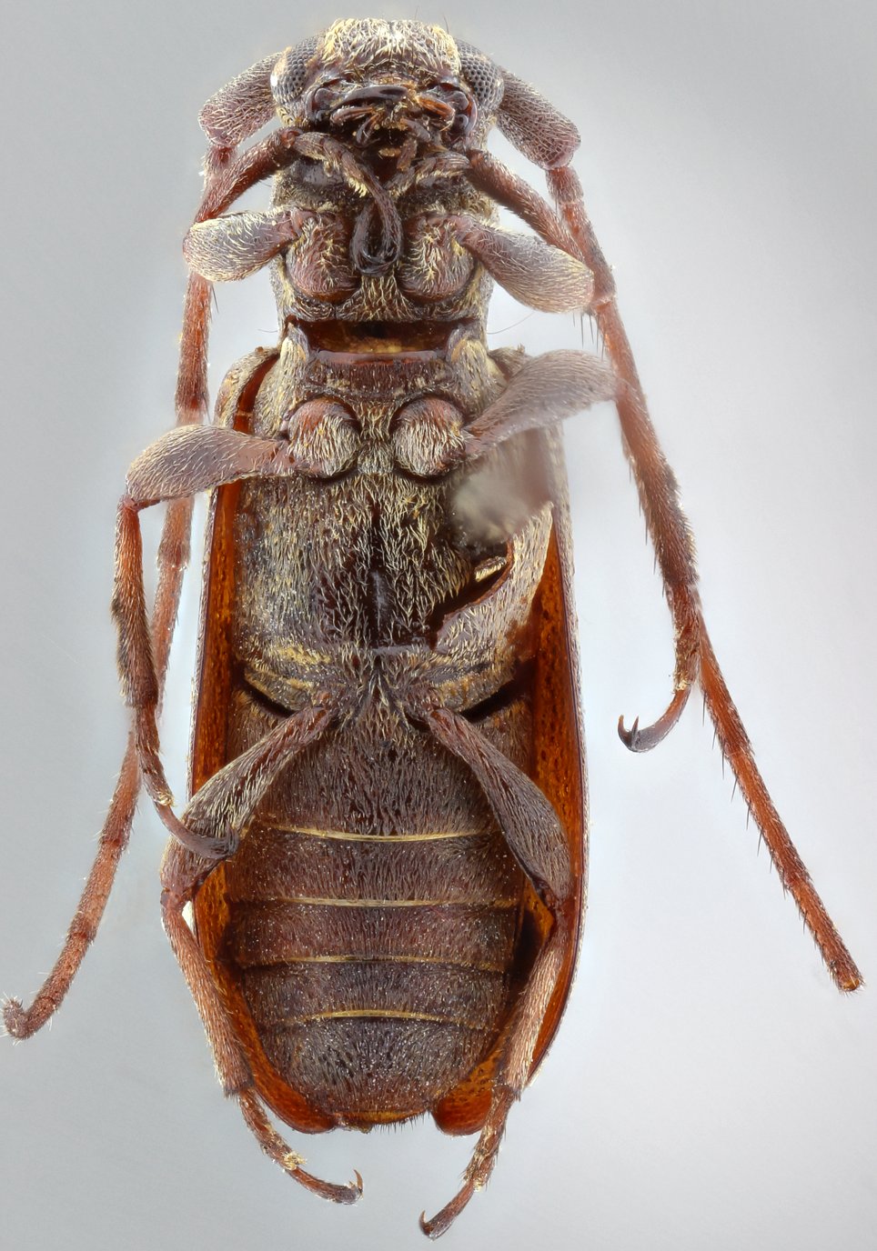
_Breun_BMNH_RJ_Brazil_nowRosalba_LGB.jpg)
Aletretia rufescens Breuning Specimen Type: holotype Institution: BMNH British Museum Natural History, London, UK Photographer: Larry G. Bezark Collection Location: Rio de Janeiro, Brazil 46199
|

Institution: MNRJ Museu Nacional Universidade do Rio Janeiro, Brazil Photographer: Larry G. Bezark 33076
|
_MNRJNova_Teut_SC_Brazil_det_Martins.jpg)
Institution: MNRJ Museu Nacional Universidade do Rio Janeiro, Brazil Photographer: Larry G. Bezark Determiner: Martins Collection Location: Nova Teutonia, Santa Catarina, Brazil 33815
|
_Breuning_MZSP_Jussaral_Angra_doeReis_RJ_Braz_SS.jpg)
Institution: MZSP Museu de Zoologia da Universidade de São Paulo, Brazil Photographer: Antonio Santos-Silva Collection Location: Jussaral Angra doe Reis, Rio de Janeiro, Brazil 64326
|
_Breuning_MZSP_SS.jpg)
Institution: MZSP Museu de Zoologia da Universidade de São Paulo, Brazil Photographer: Antonio Santos-Silva 64327
|
_Breuning_MZSP_SS.jpg)
Institution: MZSP Museu de Zoologia da Universidade de São Paulo, Brazil Photographer: Antonio Santos-Silva 64328
|
_Breuning_MZSP_SS.jpg)
Institution: MZSP Museu de Zoologia da Universidade de São Paulo, Brazil Photographer: Antonio Santos-Silva 64329
|