New Search Family, Subfamily and Tribe List

SubFamily Lamiinae

Tribe Apomecynini
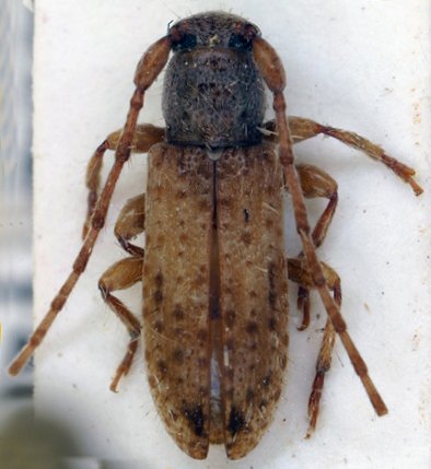
Acrepidopterum reseri Vitali 2002

Specimen Type: holotype
Institution: ZSM Zoologische Staatssammlung, München, Germany
Photographer: Steve Lingafelter
Collection Location: Jamaica
29708

130425