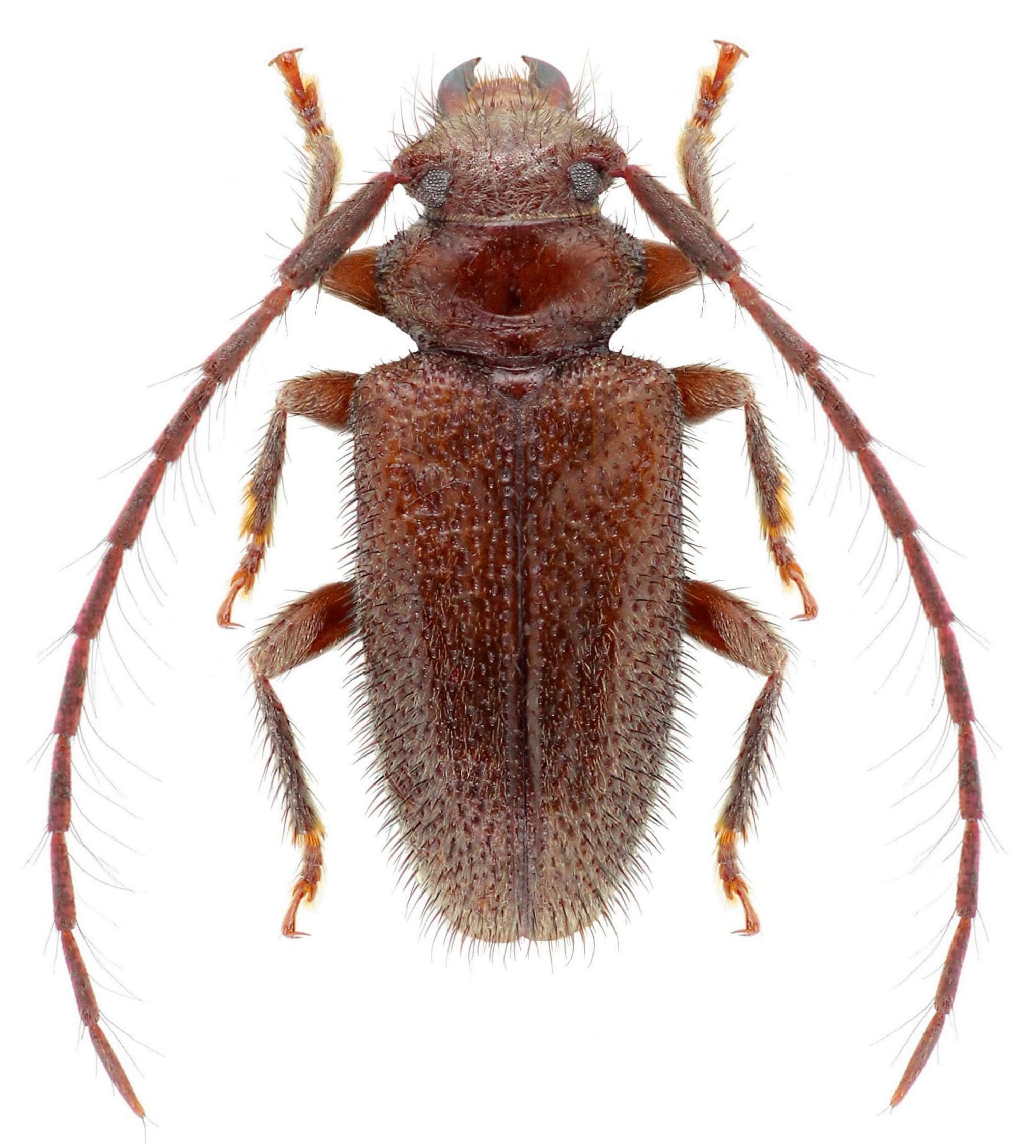
_(m)_Marinoni_MZSP_SWL.jpg)
Specimen Type: allotype Sex: m Institution: MZSP Museu de Zoologia da Universidade de São Paulo, Brazil Photographer: Steve Lingafelter Collection Location: Marinoni 13913
|

Photographer: Denis Faure Collection Location: French Guiana 25251
|
 Marinoni Montagne des Chevaux, French Guiana Robin.jpg)
Sex: f Photographer: Frédéric Robin Collection Location: Montagne des Chevaux, French Guiana 80572
|

Photographer: Jean-Louis Giuglaris Collection Location: Matiti, French Guiana 29375
|
|