_Galileo_IRSNB_Colombia_Oideterus_J_Pirkl5.jpg)
Udeterus andrarius Galileo Specimen Type: paratype Sex: m Institution: RBINS Royal Belgian Institute of Natural Sciences, Brussels, Belgium Photographer: J Pirkl Collection Location: Colombia 65332
|
_Galileo_IRSNB_Colombia_Oideterus_J_Pirkl5.jpg)
Udeterus andrarius Galileo Specimen Type: paratype Sex: m Institution: RBINS Royal Belgian Institute of Natural Sciences, Brussels, Belgium Photographer: J Pirkl Collection Location: Colombia 65333
|
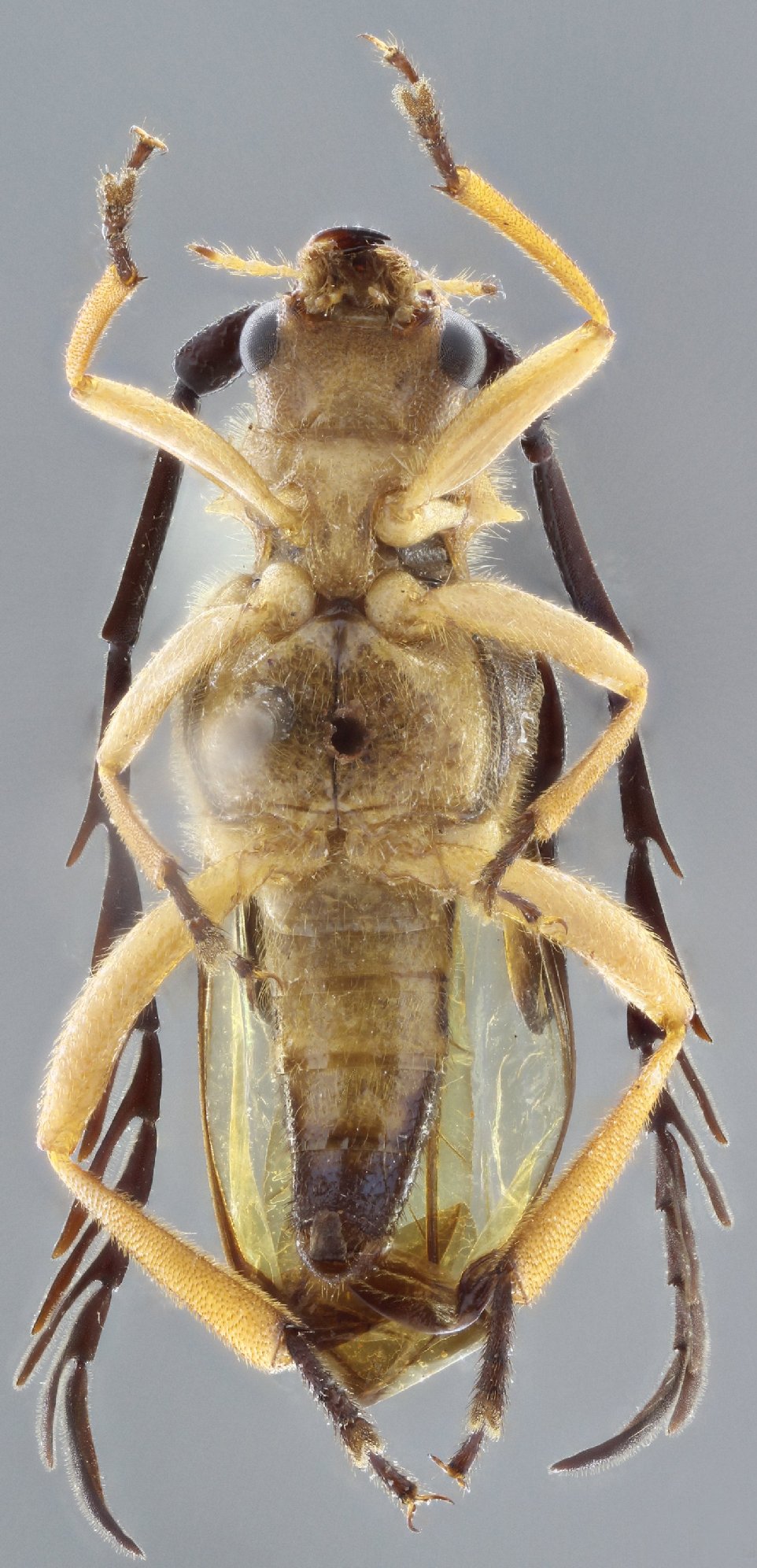
_Galileo_IRSNB_Colombia_Oideterus_J_Pirkl5.jpg)
Udeterus andrarius Galileo Specimen Type: paratype Sex: m Institution: RBINS Royal Belgian Institute of Natural Sciences, Brussels, Belgium Photographer: J Pirkl Collection Location: Colombia 65334
|
_Galileo_IRSNB_Colombia_Oideterus_J_Pirkl2.jpg)
Udeterus andrarius Galileo Specimen Type: paratype Sex: m Institution: RBINS Royal Belgian Institute of Natural Sciences, Brussels, Belgium Photographer: J Pirkl Collection Location: Colombia 65335
|
_(Galileo)_MZSP_Farralones_de_Calle_Valle_Colomb_Det_Mtns.jpg)
Sex: m Institution: MZSP Museu de Zoologia da Universidade de São Paulo, Brazil Photographer: Larry G. Bezark Determiner: Bira Martins, as Udeterus Collection Location: Farralones de Calle, Valle, Colombia 33955
|
_(Galileo)_MZSP_Medellin_Colomb_Det_Mtns.jpg)
Sex: m Institution: MZSP Museu de Zoologia da Universidade de São Paulo, Brazil Photographer: Larry G. Bezark Determiner: Bira Martins, as Udeterus Collection Location: Medellin, Colombia 33956
|
_(Galileo).jpg)
Sex: m Institution: MZSP Museu de Zoologia da Universidade de São Paulo, Brazil Photographer: Antonio Santos-Silva Collection Location: Farralones de Calle, Valle, Colombia 68304
|
_(Galileo).jpg)
Sex: m Institution: MZSP Museu de Zoologia da Universidade de São Paulo, Brazil Photographer: Antonio Santos-Silva Collection Location: Farralones de Calle, Valle, Colombia 68305
|