_Breuning_Ecuador_USNM_SWL.jpg)
Specimen Type: paratype Sex: m Institution: NMNH United States National Museum, Washington, DC, USA Photographer: Steve Lingafelter Collection Location: Ecuador 13849
|
_Breuning_NMNH_Ecuador_Charyn_Micheli_photo.jpg)
Specimen Type: paratype Sex: m Institution: NMNH United States National Museum, Washington, DC, USA Photographer: Charyn Micheli Collection Location: Ecuador 63495
|
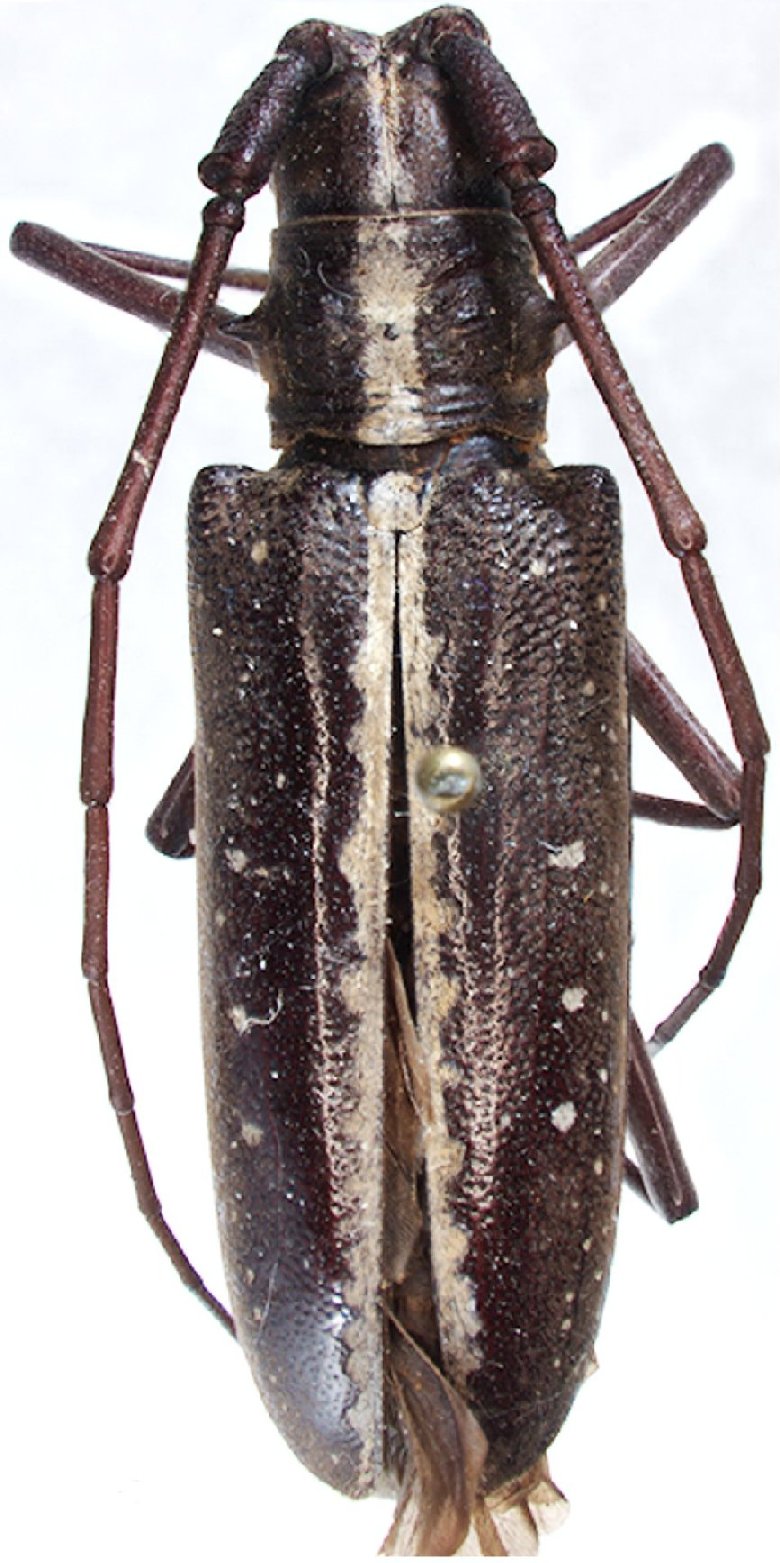
_Breuning_NMNH_Ecuador_SWL.jpg)
Specimen Type: paratype Sex: f Institution: NMNH United States National Museum, Washington, DC, USA Photographer: Steve Lingafelter Collection Location: Chanchamayo, Ecuador 63496
|
_Breuning_NMNH_Ecuador_SWL.jpg)
Specimen Type: paratype Sex: f Institution: NMNH United States National Museum, Washington, DC, USA Photographer: Steve Lingafelter Collection Location: Chanchamayo, Ecuador 63497
|
|