_Bates_MNHN_Macas_Morona-Santiago_EC_Tava.jpg)
Plagiohammus sticticus Bates Specimen Type: holotype Sex: m Institution: MNHN Museum of Natural History Paris, France Photographer: Gerard Tavakilian Collection Location: Macas, Morona-Santiago, Ecuador 66266
|
_Bates_MNHN_Macas_Morona-Santiago_EC_Tava.jpg)
Plagiohammus sticticus Bates Specimen Type: holotype Sex: m Institution: MNHN Museum of Natural History Paris, France Photographer: Gerard Tavakilian Collection Location: Macas, Morona-Santiago, Ecuador 66267
|
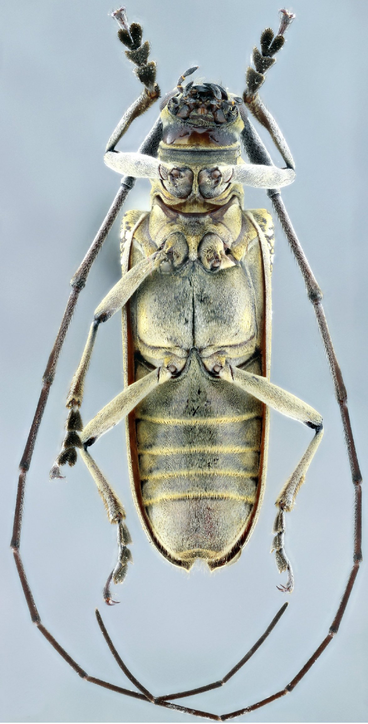
_Bates_MNHN_FTH_=_Plagiohammus_sticticus.jpg)
Hammoderus sticticus Bates Specimen Type: holotype Sex: m Institution: MNHN Museum of Natural History Paris, France Collection Location: Macas, Morona-Santiago, Ecuador 16726
|
_(Bates)_FWSC_4kmN_Bermejo_Ref_losVolcanes_SC_Bol.jpg)
Institution: Skillman Collection Photographer: Antonio Santos-Silva Collection Location: 4 km N Bermejo, Refugia los Volcanes, Santa Cruz, Bolivia 66268
|
_(Bates)_FWSC_4kmN_Bermejo_Ref_losVolcanes_SC_Bol.jpg)
Sex: m Institution: Skillman Collection Photographer: Antonio Santos-Silva Collection Location: 4 km N Bermejo, Refugia los Volcanes, Santa Cruz, Bolivia 66269
|
_(Bates)_FWSC_4kmN_Bermejo_Ref_losVolcanes_SC_Bol.jpg)
Sex: m Institution: Skillman Collection Photographer: Antonio Santos-Silva Collection Location: 4 km N Bermejo, Refugia los Volcanes, Santa Cruz, Bolivia 66270
|
_(Bates)_FWSC_4kmN_Bermejo_Ref_losVolcanes_SC_Bol.jpg)
Sex: m Institution: Skillman Collection Photographer: Antonio Santos-Silva Collection Location: 4 km N Bermejo, Refugia los Volcanes, Santa Cruz, Bolivia 66271
|
|