_Bruch_DEIC_Sarso_Catamarca_Arg_SB.jpg)
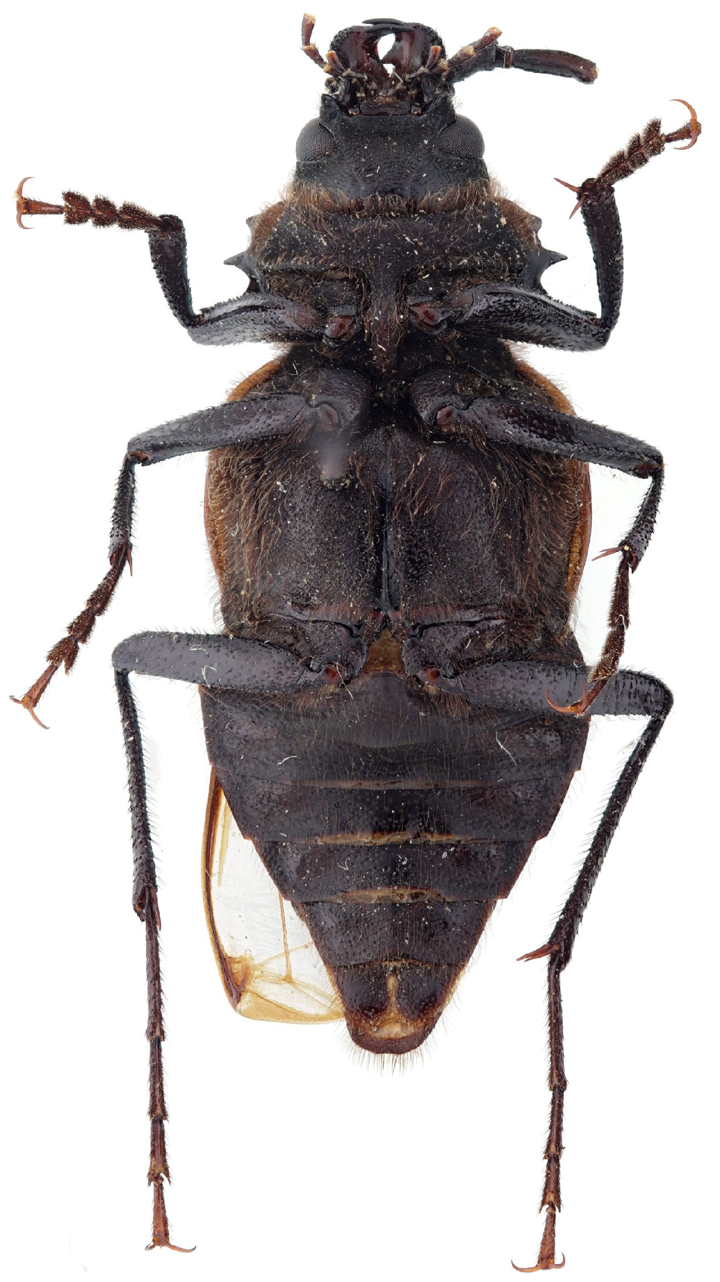
Specimen Type: paralectotype Sex: m Institution: DEIC Senckenberg Research Institute and Natural History Museum Frankfurt, Germany Photographer: Stephan Blank Collection Location: Sarso, Catamarca, Argentina 68923
|
_Bruch_DEIC_Sarso_Catamarca_Arg_SB.jpg)
Specimen Type: paralectotype Sex: m Institution: DEIC Senckenberg Research Institute and Natural History Museum Frankfurt, Germany Photographer: Stephan Blank Collection Location: Sarso, Catamarca, Argentina 68924
|
_Bruch_DEIC_Sarso_Catamarca_Arg_SB.jpg)
Specimen Type: paralectotype Sex: m Institution: DEIC Senckenberg Research Institute and Natural History Museum Frankfurt, Germany Photographer: Stephan Blank Collection Location: Sarso, Catamarca, Argentina 68925
|
_Bruch_MZSP_SWL.jpg)
Institution: MZSP Museu de Zoologia da Universidade de São Paulo, Brazil Photographer: Steve Lingafelter 12509
|
|