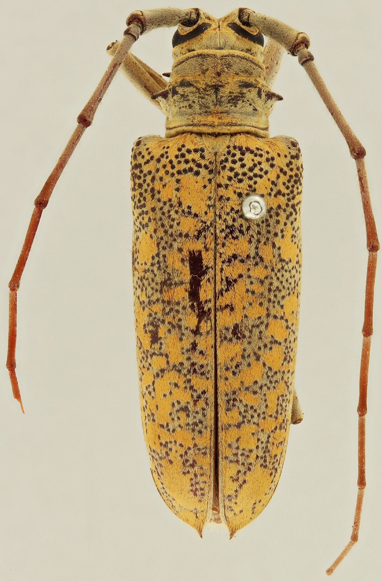
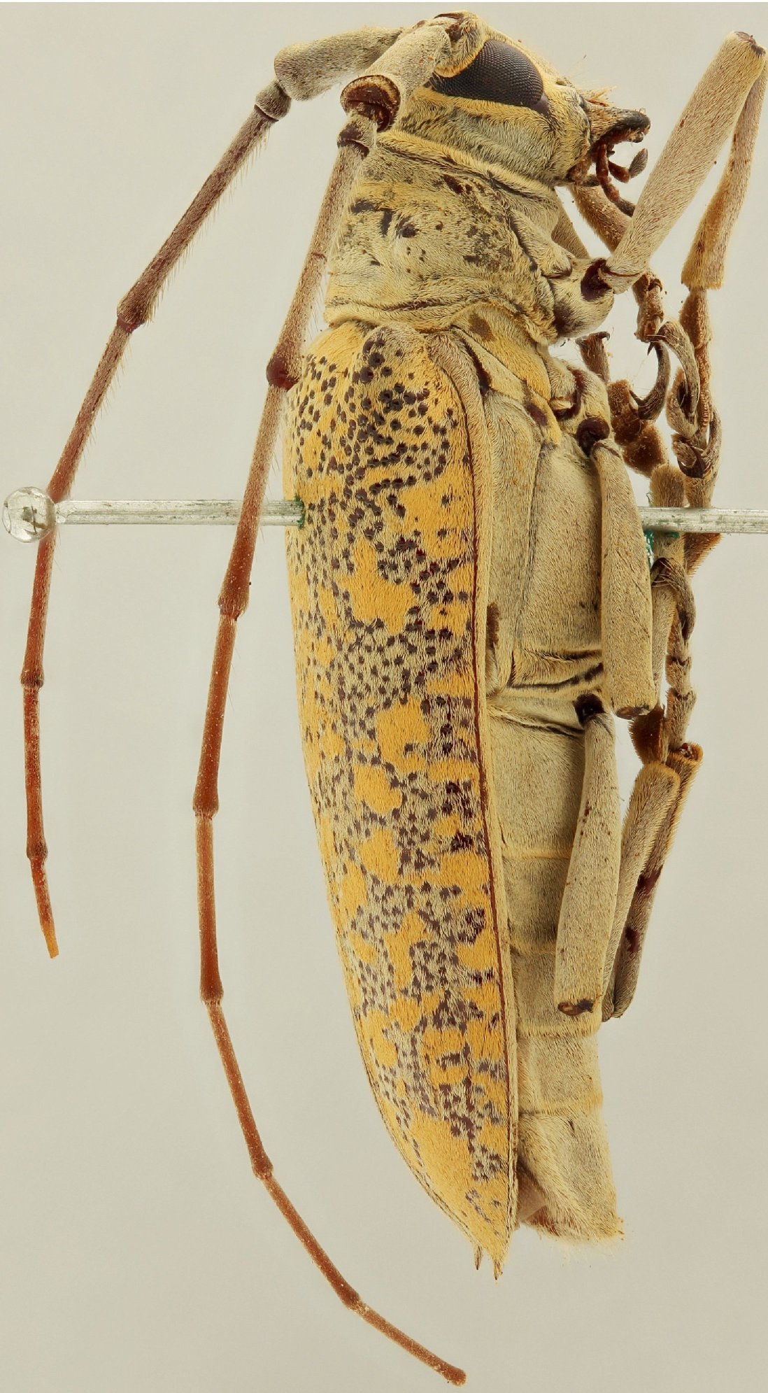
_ANSP_RS_Brazil_SS.jpg)
Plagiohammus confusor Dillon & Dillon Specimen Type: holotype Sex: m Institution: ANSP Academy of Natural Sciences, Philadelphia, PA, USA Photographer: Jason D. Weintraub Collection Location: Rio Grande do Sul, Brazil 59592
|
_Dillon_and_Dillon_FMNH_JAC.jpg)
Plagiohammus camillus Dillon & Dillon Specimen Type: holotype Institution: FMNH Field Museum of Natural History, Chicago, IL, USA Photographer: John Chemsak Collection Location: Peru 18196
|
 Dillon & Dillon FMNH now Hammato confus Moure.jpg)
Plagiohammus camillus Dillon & Dillon Specimen Type: holotype Institution: FMNH Field Museum of Natural History, Chicago, IL, USA Photographer: JS Moure Collection Location: Peru 18197
|
_Dillon_and_Dillon_JAC.jpg)
Photographer: John Chemsak 18198
|

Institution: UCB Essig Museum of Entomology, Berkeley, California, USA Photographer: Larry G. Bezark Determiner: Chemsak Collection Location: Satipo, Peru 12218
|

Institution: UCB Essig Museum of Entomology, Berkeley, California, USA Photographer: Larry G. Bezark Determiner: Chemsak Collection Location: Satipo, Peru 12219
|
_IRSNB_id_Breuning_as_Plagiohammus_brasiliensis.jpg)
Plagiohammus brasiliensis Breuning Sex: m Institution: IRSNB Royal Belgian Institute of Natural Sciences, Brussels, Belgium Photographer: Camille Locatelli Determiner: Breuning Collection Location: Rio Verde, Goias, Brazil 66307
|
_IRSNB_id_Breuning_as_Plagiohammus_brasiliensis.jpg)
Plagiohammus brasiliensis Breuning Sex: m Institution: IRSNB Royal Belgian Institute of Natural Sciences, Brussels, Belgium Photographer: Camille Locatelli Determiner: Breuning Collection Location: Rio Verde, Goias, Brazil 66308
|
_IRSNB_id_Breuning_as_Plagiohammus_brasiliensis.jpg)
Plagiohammus brasiliensis Breuning Sex: f Institution: IRSNB Royal Belgian Institute of Natural Sciences, Brussels, Belgium Photographer: Camille Locatelli Determiner: Breuning Collection Location: Rio Verde, Goias, Brazil 66309
|
_IRSNB_id_Breuning_as_Plagiohammus_brasiliensis.jpg)
Plagiohammus brasiliensis Breuning Sex: f Institution: IRSNB Royal Belgian Institute of Natural Sciences, Brussels, Belgium Photographer: Camille Locatelli Determiner: Breuning Collection Location: Rio Verde, Goias, Brazil 66310
|
_D_D_SS.jpg)
Sex: m Photographer: Antonio Santos-Silva 66311
|
_D_D_SS.jpg)
Sex: f Photographer: Antonio Santos-Silva 66312
|
|