_Bates_BMNH_Cachi_Cartago_CR_nowPlagiohammus_LGB.jpg)
Hammoderus albatus Bates Specimen Type: holotype Sex: m Institution: BMNH British Museum Natural History, London, UK Photographer: Larry G. Bezark Collection Location: Cachi, Cartago, Costa Rica 46832
|
_Bates_BMNH_Cachi_Cartago_CR_nowPlagiohammus_LGB.jpg)
Hammoderus albatus Bates Specimen Type: holotype Sex: m Institution: BMNH British Museum Natural History, London, UK Photographer: Larry G. Bezark Collection Location: Cachi, Cartago, Costa Rica 46833
|
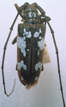
_Bates_BMNH_JAC_=_Plagiohammus.jpg)
Hammoderus albatus Bates Specimen Type: holotype Institution: BMNH British Museum Natural History, London, UK Photographer: John Chemsak 16707
|
_Bates_BMNH_Tav_=_Plagiohammus.jpg)
Hammoderus albatus Bates Specimen Type: holotype Institution: BMNH British Museum Natural History, London, UK Photographer: Gerard Tavakilian 16708
|
_Det_Chemsak_Costa_Rica_UCB.jpg)
Institution: UCB Essig Museum of Entomology, Berkeley, California, USA Photographer: Larry G. Bezark Determiner: Chemsak Collection Location: Costa Rica 12215
|
|