 M G MZSP Cali, Valle de Cauca, Colombia SS.jpg)
Specimen Type: holotype Sex: f Institution: MZSP Museu de Zoologia da Universidade de São Paulo, Brazil Photographer: Antonio Santos-Silva Collection Location: Cali, Valle de Cauca, Colombia 90026
|
 M G MZSP Cali, Valle de Cauca, Colombia SS.jpg)
Specimen Type: holotype Sex: f Institution: MZSP Museu de Zoologia da Universidade de São Paulo, Brazil Photographer: Antonio Santos-Silva Collection Location: Cali, Valle de Cauca, Colombia 90027
|
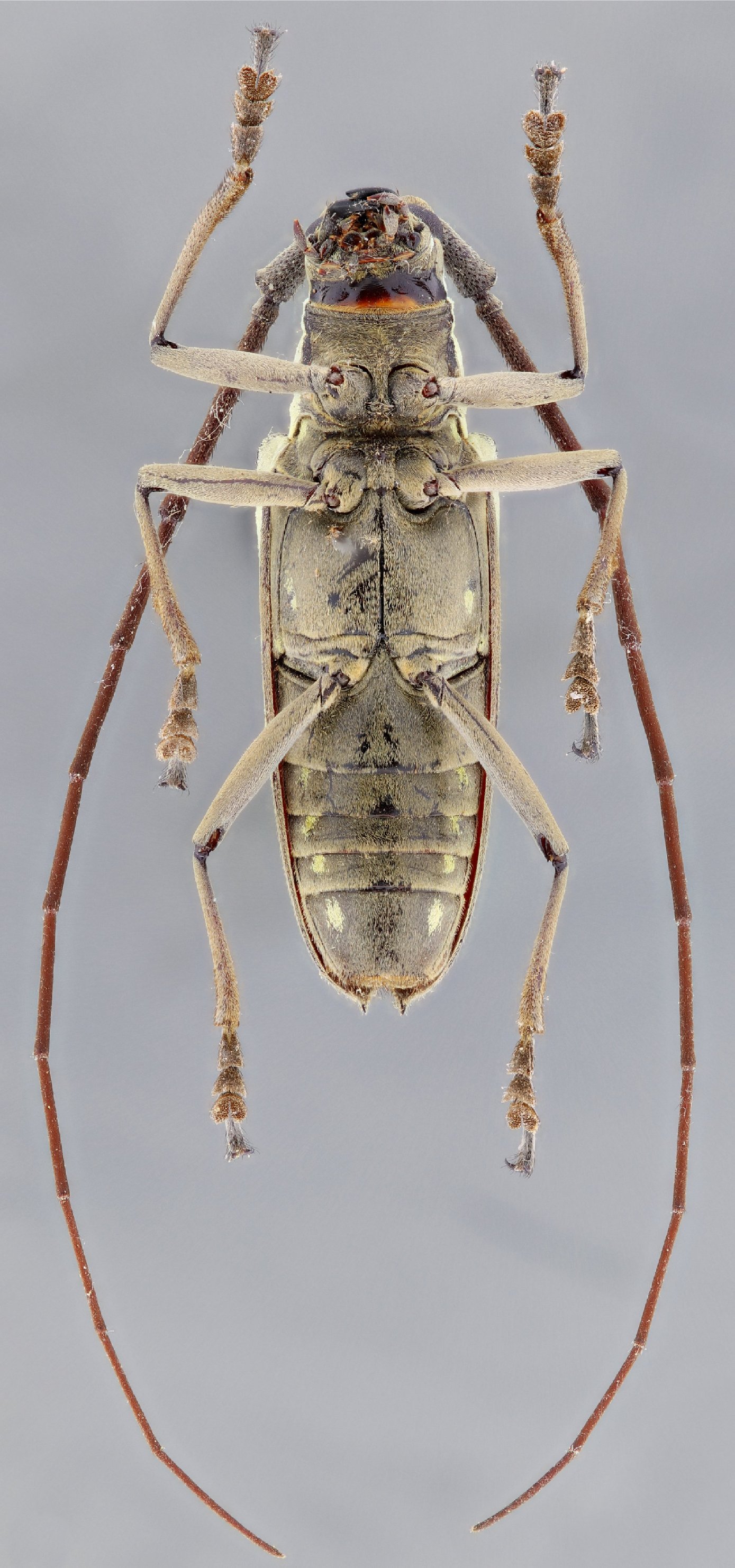
 M G MZSP Cali, Valle de Cauca, Colombia SS.jpg)
Specimen Type: holotype Sex: f Institution: MZSP Museu de Zoologia da Universidade de São Paulo, Brazil Photographer: Antonio Santos-Silva Collection Location: Cali, Valle de Cauca, Colombia 90028
|
 M G MZSP Cali, Valle de Cauca, Colombia SS.jpg)
Specimen Type: holotype Sex: f Institution: MZSP Museu de Zoologia da Universidade de São Paulo, Brazil Photographer: Antonio Santos-Silva Collection Location: Cali, Valle de Cauca, Colombia 90029
|
 M G MNRJ Cali, Valle de Cauca, Colombia SWL.jpg)
Specimen Type: paratype Sex: m Institution: MNRJ (destroyed by fire) Photographer: Steve Lingafelter Collection Location: Cali, Valle de Cauca, Colombia 90030
|
 CMNC 16km S Tinalandia, Santo Domingo, Pichincha, EC SS.jpg)
Specimen Type: paratype Sex: f Institution: CMN Canadian Museum of Nature, Ottawa Photographer: Martins & Galileo Collection Location: 16 km S Tinalandia, Santo Domingo, Pichincha, Ecuador 90031
|
|