 Bates BMNH now Neopty Moure.jpg)
Ptychodes candidus Bates Specimen Type: lectotype Sex: m Institution: BMNH British Museum Natural History, London, UK Photographer: JS Moure Collection Location: Bugaba, Chiriqui, Panama 80709
|
_(m)_Bates_BMNH_JAC_=_Neoptychodes.jpg)
Ptychodes candidus Bates Specimen Type: lectotype Sex: m Institution: BMNH British Museum Natural History, London, UK Photographer: John Chemsak Collection Location: Bugaba, Chiriqui, Panama 18397
|
_LGB.jpg)
Institution: LGBC Larry G. Bezark Collection, Sacramento, California, USA Photographer: Larry G. Bezark Collection Location: 12 km N El Llano, Panama, Panama 10555
|
_LGB.jpg)
Photographer: Larry G. Bezark Collection Location: Costa Rica 10561
|
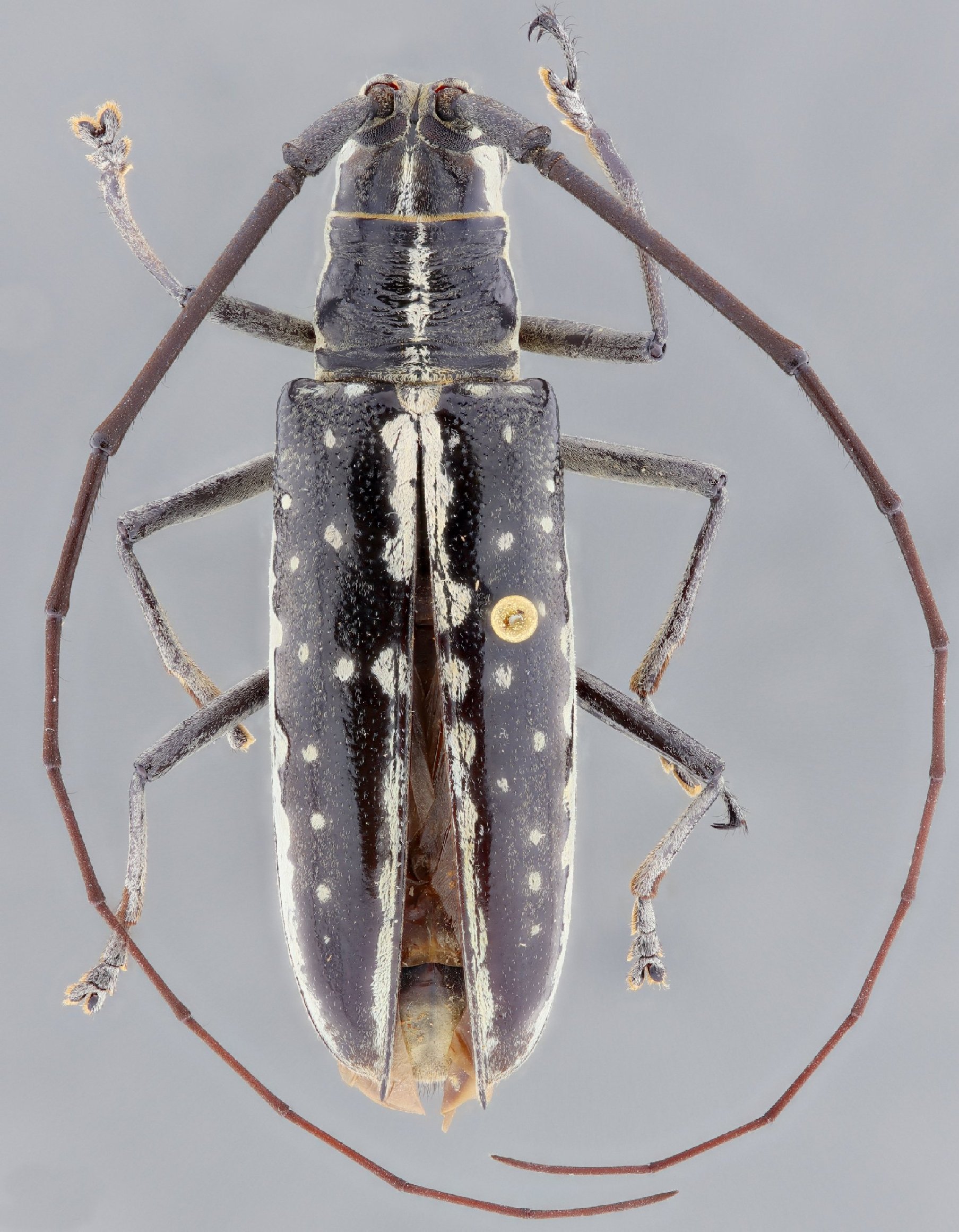
 Bates MZSP El Diviso, Colombia SS.jpg)
Sex: f Institution: MZSP Museu de Zoologia da Universidade de São Paulo, Brazil Photographer: Antonio Santos-Silva Collection Location: El Diviso, Colombia 90025
|
|