_Kirby_BMNH_JAC.jpg)
Specimen Type: holotype Institution: BMNH British Museum Natural History, London, UK Photographer: John Chemsak 17421
|
_LeConte_MCZ_JAC_=_Monochamus_marmorator_Kirby.jpg)
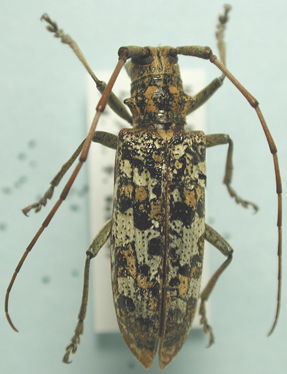
Monohammus fautor LeConte Specimen Type: holotype Institution: MCZ Museum of Comparative Zoology, Harvard University, Cambridge, MA, USA Photographer: John Chemsak 17426
|
_LeConte_MCZ_=_Monochamus_marmorator_Kirby.jpg)
Monohammus fautor LeConte Specimen Type: holotype Institution: MCZ Museum of Comparative Zoology, Harvard University, Cambridge, MA, USA Photographer: P. Naskrecki, P. Perkins, and B. Farrell 2067
|
_LeConte_MCZ_=_Monochamus_marmorator_Kirby.jpg)
Monohammus fautor LeConte Specimen Type: holotype Institution: MCZ Museum of Comparative Zoology, Harvard University, Cambridge, MA, USA Photographer: P. Naskrecki, P. Perkins, and B. Farrell 2068
|
_LeConte_MCZ_=_Monochamus_marmorator_Kirby.jpg)
Monohammus fautor LeConte Specimen Type: holotype Institution: MCZ Museum of Comparative Zoology, Harvard University, Cambridge, MA, USA Photographer: P. Naskrecki, P. Perkins, and B. Farrell 2069
|
_LeConte_MCZ_=_Monochamus_marmorator_Kirby.jpg)
Monohammus fautor LeConte Specimen Type: holotype Institution: MCZ Museum of Comparative Zoology, Harvard University, Cambridge, MA, USA Photographer: P. Naskrecki, P. Perkins, and B. Farrell 2070
|
_LeConte_MCZ_=_Monochamus_marmorator_Kirby.jpg)
Monohammus fautor LeConte Specimen Type: holotype Institution: MCZ Museum of Comparative Zoology, Harvard University, Cambridge, MA, USA Photographer: P. Naskrecki, P. Perkins, and B. Farrell 2071
|

Institution: LGBC Larry G. Bezark Collection, Sacramento, California, USA Photographer: Larry G. Bezark 2035
|
|