_Chen_Chiang_SAUC_Simian_Shan_Chongqing_China_now_ikedai_Li_Chen_pic.jpg)
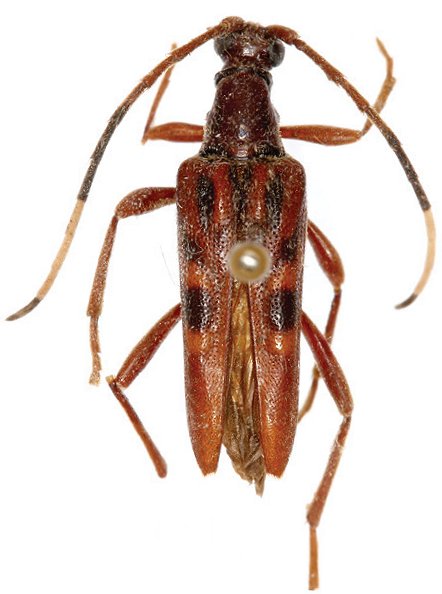
Sinostrangalis simianshana Chen & Chiang Specimen Type: holotype Sex: f Institution: SAUC Insect Collection of the Southwest Agricultural University, Chongqing, China Photographer: Li Chen Collection Location: Simian Shan, Chongqing Province, China 70727
|
_Chen_Chiang_SAUC_Simian_Shan_Chongqing_China_now_Strangalis_ikedai_Li_Chen_pic.jpg)
Sinostrangalis simianshana Chen & Chiang Specimen Type: holotype Sex: f Institution: SAUC Insect Collection of the Southwest Agricultural University, Chongqing, China Photographer: Li Chen Collection Location: Simian Shan, Chongqing Province, China 70728
|
_FBVA_60.jpg)
Elacomia collaris Holzschuh Specimen Type: holotype Sex: m Institution: Holzschuh Collection Determiner: Schrift. Forstlichen Bundesversuchsanstalt Collection Location: vic Shaowu, Fujian Province, China 60906
|
_Tam_Dao_Vietnam_SWL.jpg)
Photographer: Steve Lingafelter Collection Location: Tam Dao, Vinh Phuc Province, Vietnam 60905
|
|