New Search Family, Subfamily and Tribe List

SubFamily Prioninae

Tribe Anacolini
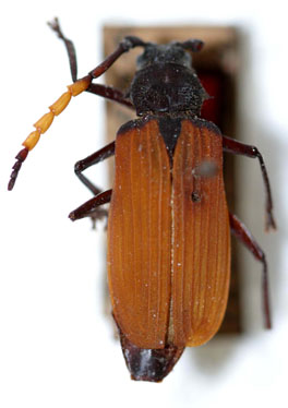
Poekilosoma carinatipenne Lane 1941

Specimen Type: holotype
Institution: MZSP Museu de Zoologia da Universidade de São Paulo, Brazil
Photographer: Steve Lingafelter
12378


Sex: m
Collection Location: Linhares, Espirito Santo, Brazil
23670

130425