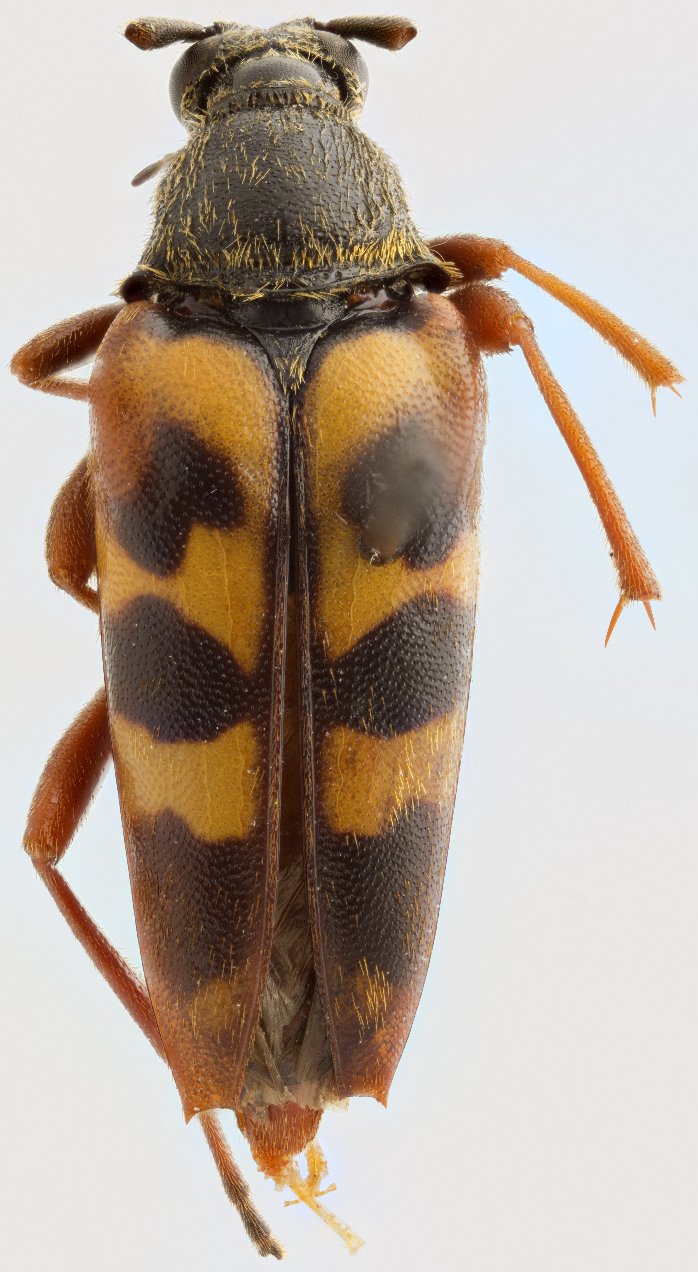
_Kirby_BMNH_JAC_=_Typocerus_velutinus_velutinus_(Olivier).jpg)
Leptura tenuior Kirby Specimen Type: holotype Institution: BMNH British Museum Natural History, London, UK Photographer: John Chemsak 17109
|
_Sw_Hopp_CNC_Victoria_Beach_Manitoba_Can_velutinus_Lap.jpg)
Typocerus manitobensis Swaine & Hopping Specimen Type: holotype Institution: CNC Canadian National Collection of Insects, Ottawa, Ontario, Canada Photographer: Serge Laplante, photograph and data Determiner: Copyright of
Agriculture & Agri Food Canada Collection Location: Victoria Beach, Manitoba, Canada 63116
|
_Sw_Hopp_CNC_Victoria_Beach_Manitoba_Can_velutinus_Lap.jpg)
Typocerus manitobensis Swaine & Hopping Specimen Type: holotype Institution: CNC Canadian National Collection of Insects, Ottawa, Ontario, Canada Photographer: Serge Laplante, photograph and data Determiner: Copyright of
Agriculture & Agri Food Canada Collection Location: Victoria Beach, Manitoba, Canada 63117
|
_Sw_Hopp_CNC_Victoria_Beach_Manitoba_Can_velutinus_Lap.jpg)
Typocerus manitobensis Swaine & Hopping Specimen Type: holotype Institution: CNC Canadian National Collection of Insects, Ottawa, Ontario, Canada Photographer: Serge Laplante, photograph and data Determiner: Copyright of
Agriculture & Agri Food Canada Collection Location: Victoria Beach, Manitoba, Canada 63118
|

Photographer: Boppe 30875
|
_FSCA.jpg)
Institution: FSCA Florida State Collection of Arthropods, Gainesville, FL, USA Photographer: Mike Thomas 3252
|
_LGB.jpg)
Photographer: Larry G. Bezark 3254
|
|