_Howden_CNC_Mt_Lavall_Quebec_Can_Trachysida_aspera_brev_Lap.jpg)
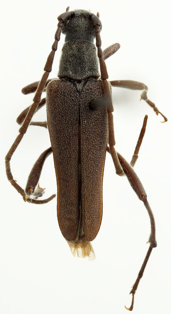
Anoplodera brevifrons Howden Specimen Type: holotype Sex: m Institution: CNC Canadian National Collection of Insects, Ottawa, Ontario, Canada Photographer: Serge Laplante, photograph and data Determiner: Copyright of
Agriculture & Agri Food Canada Collection Location: Mt Lyall, Quebec, Canada 62892
|
_Howden_CNC_Mt_Lavall_Quebec_Can_Trachysida_aspera_brev_Lap.jpg)
Anoplodera brevifrons Howden Specimen Type: holotype Sex: m Institution: CNC Canadian National Collection of Insects, Ottawa, Ontario, Canada Photographer: Serge Laplante, photograph and data Determiner: Copyright of
Agriculture & Agri Food Canada Collection Location: Mt Lyall, Quebec, Canada 62893
|
_Howden_CNC_Mt_Lavall_Quebec_Can_Trachysida_aspera_brev_Lap.jpg)
Anoplodera brevifrons Howden Specimen Type: holotype Sex: m Institution: CNC Canadian National Collection of Insects, Ottawa, Ontario, Canada Photographer: Serge Laplante, photograph and data Determiner: Copyright of
Agriculture & Agri Food Canada Collection Location: Mt Lyall, Quebec, Canada 62894
|
_Howden_CNC_Mt_Lavall_Quebec_Can_Trachysida_aspera_brev_Lap.jpg)
Anoplodera brevifrons Howden Specimen Type: holotype Sex: m Institution: CNC Canadian National Collection of Insects, Ottawa, Ontario, Canada Photographer: Serge Laplante, photograph and data Determiner: Copyright of
Agriculture & Agri Food Canada Collection Location: Mt Lyall, Quebec, Canada 62895
|
_LGB.jpg)
Photographer: Larry G. Bezark 3146
|
_(Howden)_Quebec_UCB.jpg)
Specimen Type: paratype Institution: UCB Essig Museum of Entomology, Berkeley, California, USA Photographer: Larry G. Bezark Collection Location: Mt Lyall, Quebec, Canada 3147
|
|