_Galileo_MZSP_Cayenne_Fr_G_Biribellus_SS.jpg)
Nicias huedepohli Galileo Specimen Type: holotype Sex: f Institution: MZSP Museu de Zoologia da Universidade de São Paulo, Brazil Photographer: Antonio Santos-Silva Collection Location: Cayenne, French Guiana 68427
|
_Galileo_MZSP_Cayenne_Fr_G_Biribellus_SS.jpg)
Nicias huedepohli Galileo Specimen Type: holotype Sex: f Institution: MZSP Museu de Zoologia da Universidade de São Paulo, Brazil Photographer: Antonio Santos-Silva Collection Location: Cayenne, French Guiana 68428
|
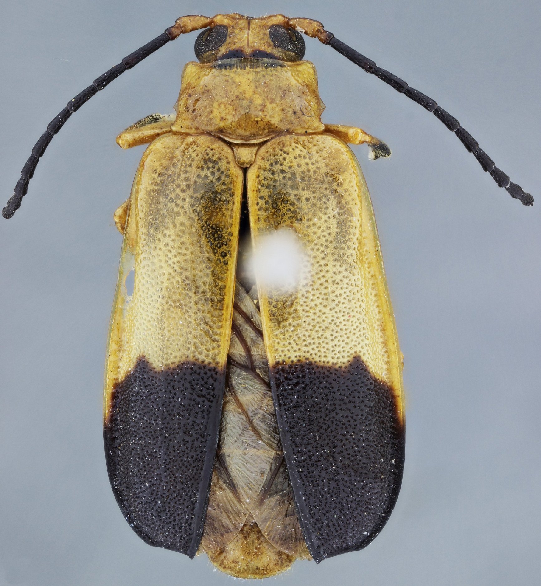
_Galileo_MZSP_Cayenne_Fr_G_Biribellus_SS.jpg)
Nicias huedepohli Galileo Specimen Type: holotype Sex: f Institution: MZSP Museu de Zoologia da Universidade de São Paulo, Brazil Photographer: Antonio Santos-Silva Collection Location: Cayenne, French Guiana 68429
|
_Galileo_MZSP_SWL.jpg)
Nicias huedepohli Galileo Specimen Type: holotype Institution: MZSP Museu de Zoologia da Universidade de São Paulo, Brazil Photographer: Steve Lingafelter 10622
|

10623
|
_(Galileo)_Tav.jpg)
Sex: f Photographer: Gerard Tavakilian 30548
|