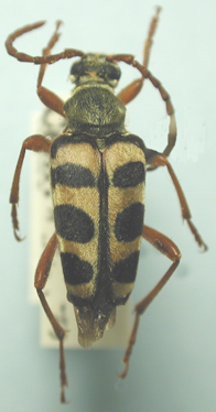
_LeConte_MCZ_=_Strophiona.jpg)
Leptura laeta LeConte Specimen Type: syntype Institution: MCZ Museum of Comparative Zoology, Harvard University, Cambridge, MA, USA Photographer: P. Naskrecki, P. Perkins, and B. Farrell Collection Location: Sacramento, California 1581
|
_LeConte_MCZ_=_Strophiona.jpg)
Leptura laeta LeConte Specimen Type: syntype Institution: MCZ Museum of Comparative Zoology, Harvard University, Cambridge, MA, USA Photographer: P. Naskrecki, P. Perkins, and B. Farrell Collection Location: Sacramento, California 1582
|
_LeConte_MCZ_=_Strophiona.jpg)
Leptura laeta LeConte Specimen Type: syntype Institution: MCZ Museum of Comparative Zoology, Harvard University, Cambridge, MA, USA Photographer: P. Naskrecki, P. Perkins, and B. Farrell Collection Location: Sacramento, California 1583
|
_LeConte_MCZ_=_Strophiona.jpg)
Leptura laeta LeConte Specimen Type: syntype Institution: MCZ Museum of Comparative Zoology, Harvard University, Cambridge, MA, USA Photographer: P. Naskrecki, P. Perkins, and B. Farrell Collection Location: Sacramento, California 1584
|
_LeConte_JAC_=_Strophiona.jpg)
Leptura laeta LeConte Specimen Type: syntype Institution: MCZ Museum of Comparative Zoology, Harvard University, Cambridge, MA, USA Photographer: John Chemsak 17088
|
_Casey_USNM_=_laeta.jpg)
Strophiona ostenta Casey Specimen Type: holotype Sex: f Institution: NMNH United States National Museum, Washington, DC, USA Collection Location: New Mexico 26615
|
_LGB.jpg)
Photographer: Larry G. Bezark 2993
|
|