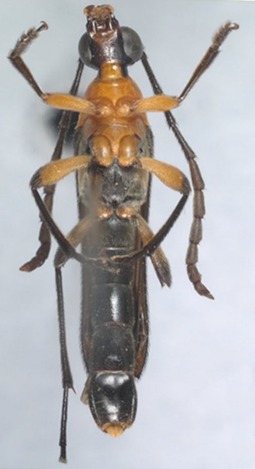
_Bates_BMNH_SantoDomingo_Chontales_nowStrangalidium_LGB.jpg)
Ophistomis nigellus Bates Specimen Type: holotype Sex: f Institution: BMNH British Museum Natural History, London, UK Photographer: Larry G. Bezark Collection Location: Santo Domingo, Chontales, Nicaragua 47142
|
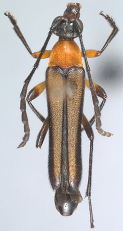
_Bates_BMNH_JAC_=_Strangalidium_nigellum.jpg)
Ophistomis nigellus Bates Specimen Type: holotype Sex: f Institution: BMNH British Museum Natural History, London, UK Photographer: John Chemsak Collection Location: Santo Domingo, Chontales, Nicaragua 17875
|
_(Bates)_CAS_10-15km_NE_El_Llano_Panama_Prov_Panama_Gutierrez_pic.jpg)
Sex: m Institution: CAS California Academy of Sciences, San Francisco, CA, USA Photographer: Nayeli Gutierrez Collection Location: 10-15 km NE El Llano, Panama Province, Panama 74434
|
_(Bates)_CAS_10-15km_NE_El_Llano_Panama_Prov_Panama_Gutierrez_pic.jpg)
Sex: m Institution: CAS California Academy of Sciences, San Francisco, CA, USA Photographer: Nayeli Gutierrez Collection Location: 10-15 km NE El Llano, Panama Province, Panama 74435
|
_(Bates)_CAS_10-15km_NE_El_Llano_Panama_Prov_Panama_Gutierrez_pic.jpg)
Sex: f Institution: CAS California Academy of Sciences, San Francisco, CA, USA Photographer: Nayeli Gutierrez Collection Location: 10-15 km NE El Llano, Panama Province, Panama 74436
|
_(Bates)_CAS_10-15km_NE_El_Llano_Panama_Prov_Panama_Gutierrez_pic.jpg)
Sex: f Institution: CAS California Academy of Sciences, San Francisco, CA, USA Photographer: Nayeli Gutierrez Collection Location: 10-15 km NE El Llano, Panama Province, Panama 74437
|
_BCA.jpg)
Institution: BCA Biologia Centrali Americana 13742
|
_Det_Giesbert.jpg)
Determiner: Giesbert 13743
|
_FTH_LGB.jpg)
Institution: FTH Frank T. Hovore collection (now at California Academy of Sciences) Photographer: Larry G. Bezark 13744
|
|