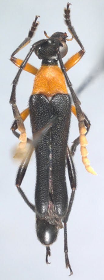
_Giesbert_CAS_type_15735_=_Strangalidium_linsleyanum.jpg)
Strangalia linsleyi Giesbert Specimen Type: holotype Sex: m Institution: CAS California Academy of Sciences, San Francisco, CA, USA Photographer: Larry G. Bezark Collection Location: Cerro Jefe, Panama 23206
|
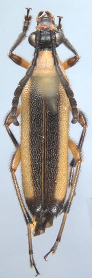
_Giesbert_UCB_=_Strangalidium_linsleyanum.jpg)
Strangalia linsleyi Giesbert Specimen Type: paratype Institution: UCB Essig Museum of Entomology, Berkeley, California, USA Photographer: Larry G. Bezark 13693
|
_(Giesbert)_ACMT_Cerro_Azul_Panama_Prov_Panama_Gutierrez_pic.jpg)
Sex: m Institution: ACMT American Coleoptera Collection, Texas (now at FSCA) Photographer: Nayeli Gutierrez Collection Location: Cerro Azul, Panama Province, Panama 74430
|
_(Giesbert)_ACMT_Cerro_Azul_Panama_Prov_Panama_Gutierrez_pic.jpg)
Sex: m Institution: ACMT American Coleoptera Collection, Texas (now at FSCA) Photographer: Nayeli Gutierrez Collection Location: Cerro Azul, Panama Province, Panama 74431
|
_(Giesbert)_EMEC_Cerro_Jefe_Panama_Prov_Panama_Gutierrez_pic.jpg)
Sex: f Institution: EMEC Essig Museum of Entomology, Berkeley, CA, USA Photographer: Nayeli Gutierrez Collection Location: Cerro Jefe, Panama Province, Panama 74432
|
_(Giesbert)_EMEC_Cerro_Jefe_Panama_Prov_Panama_Gutierrez_pic.jpg)
Sex: f Institution: EMEC Essig Museum of Entomology, Berkeley, CA, USA Photographer: Nayeli Gutierrez Collection Location: Cerro Jefe, Panama Province, Panama 74433
|
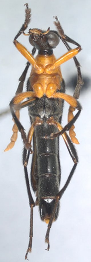
.jpg)
Sex: f Institution: FTH Frank T. Hovore collection (now at California Academy of Sciences) Photographer: Larry G. Bezark Collection Location: Cerro Jefe, Panama Province, Panama 13740
|
_FTH_LGB.jpg)
Sex: m Institution: FTH Frank T. Hovore collection (now at California Academy of Sciences) Photographer: Larry G. Bezark Collection Location: Cerro Jefe, Panama Province, Panama 13741
|
|