_Melzer_MZSP_SWL_=_Strangalia.jpg)
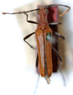
Ophistomis zikani Melzer Specimen Type: holotype Sex: m Institution: MZSP Museu de Zoologia da Universidade de São Paulo, Brazil Photographer: Steve Lingafelter Collection Location: Passa Quatro, Fazenda dos Campos, Minas Gerais, Brazil 11334
|
_Melzer_CAS_=_Strangalia.jpg)
Ophistomis zikani Melzer Specimen Type: cotype Institution: CAS California Academy of Sciences, San Francisco, CA, USA Photographer: Larry G. Bezark 11333
|