_Redtenbacher_NMHW_now_Strangalia_Schmid_photo.jpg)
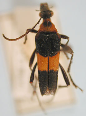
Ophistomis succincta Redtenbacher Specimen Type: holotype Institution: NMW Naturhistorisches Museum, Wien, Austria Photographer: Herbert Schmid Collection Location: Rio de Janeiro, Brazil 55154
|
_Redtenb_NMW_RJ_Brasil_Schmid_photo_=_Strang_succincta.jpg)
Ophistomis auriflua Redtenbacher Specimen Type: holotype Sex: f Institution: NMW Naturhistorisches Museum, Wien, Austria Photographer: Herbert Schmid Collection Location: Rio de Janeiro, Brazil 40160
|

Ophistomis auriflua Redtenbacher Photographer: John Chemsak 17840
|
_Rev_Bras_Ent.jpg)
20735
|
_Brazil_UCB.jpg)
Institution: UCB Essig Museum of Entomology, Berkeley, California, USA Photographer: Larry G. Bezark Collection Location: Brazil 13729
|
_CAS.jpg)
Institution: CAS California Academy of Sciences, San Francisco, CA, USA Photographer: Larry G. Bezark 13730
|
|