_Bates_MNHN_FTH_=_Strangalia_semifulva.jpg)
Ophistomis semifulvus Bates Specimen Type: holotype Sex: f Institution: MNHN Museum of Natural History Paris, France Collection Location: Tefé (originally Ega), Amazonas, Brazil 17900
|
_Bates_MNHN_JAC_=_Strangalia_semifulva.jpg)
Ophistomis semifulvus Bates Specimen Type: holotype Sex: f Institution: MNHN Museum of Natural History Paris, France Photographer: John Chemsak Collection Location: Tefé (originally Ega), Amazonas, Brazil 17901
|
_Bates_MNHN_Rev_Bras_Ent.jpg)
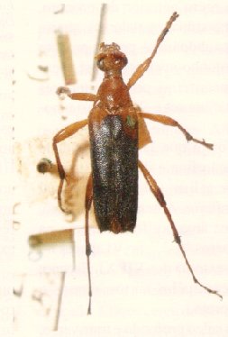
Ophistomis semifulvus Bates Specimen Type: holotype Sex: f Institution: MNHN Museum of Natural History Paris, France Collection Location: Tefé (originally Ega), Amazonas, Brazil 23176
|
|