_(m)_Bates_MNHN_Tav_Ega_Brazil_=_Strangalia.jpg)
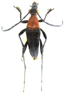
Ophistomis rubricollis Bates Specimen Type: holotype Sex: m Institution: MNHN Museum of Natural History Paris, France Photographer: Gerard Tavakilian Collection Location: Tefé (originally Ega), Amazonas, Brazil 17888
|
_Bates_MNHN_FTH_=_Strangalia.jpg)
Ophistomis rubricollis Bates Specimen Type: holotype Sex: m Institution: MNHN Museum of Natural History Paris, France Collection Location: Tefé (originally Ega), Amazonas, Brazil 17889
|
_Bates_MNHN_JAC_=_Strangalia.jpg)
Ophistomis rubricollis Bates Specimen Type: holotype Sex: m Institution: MNHN Museum of Natural History Paris, France Photographer: John Chemsak Collection Location: Tefé (originally Ega), Amazonas, Brazil 17890
|
_Faure_French_Guiana.jpg)
Photographer: Denis Faure Collection Location: French Guiana 24176
|
_(Bates)_Rev_Bras_Ent.jpg)
Sex: m 24177
|
_Bolivia_Wappes_Photo.jpg)
Photographer: Jim Wappes Collection Location: Bolivia 13718
|
_(Bates)_as_Ophistomis.jpg)
Sex: f Collection Location: as Ophistomis 13719
|
_Kaw_Fr_Guiana_Morvan_photo.jpg)
Photographer: Odette Morvan Collection Location: Kaw, French Guiana 25222
|

Photographer: Jean-Louis Giuglaris Collection Location: Coralie, French Guiana 29364
|