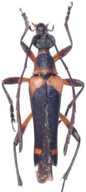
_Redtenbacher_now_Strangalia_Schmid_photo.jpg)
Ophistomis lyrata Redtenbacher Specimen Type: syntype Institution: NMW Naturhistorisches Museum, Wien, Austria Photographer: Herbert Schmid Collection Location: Rio de Janeiro, Brazil 55153
|
_Itatiaia_RJ_Brazil.jpg)
Collection Location: Itatiaia, Rio de Janeiro, Brazil 30233
|
_(nt)_Redten._JAC_=_Strangalia_discophora.jpg)
Ophistomis discophora Redtenbacher Photographer: John Chemsak Collection Location: (nt) 17848
|
_Rev_Bras_Ent.jpg)
20730
|
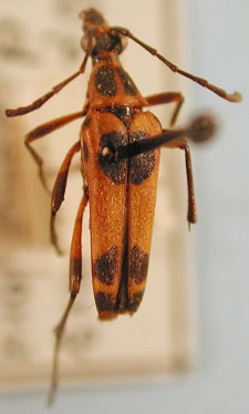
_CAS.jpg)
Strangalia discophora (Redtenbacher) Institution: CAS California Academy of Sciences, San Francisco, CA, USA Photographer: Larry G. Bezark 13668
|
_UCB.jpg)
Institution: UCB Essig Museum of Entomology, Berkeley, California, USA Photographer: Larry G. Bezark 13696
|
|