
Ophistomis luticornis Linnaeus Specimen Type: holotype Institution: BMNH British Museum Natural History, London, UK Collection Location: Carolina 11328
|
_Casey_USNM_=_Strangalia_luteicornis.jpg)
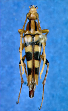
Ophistomis carolinae Casey Specimen Type: holotype Sex: m Institution: NMNH United States National Museum, Washington, DC, USA Collection Location: South Carolina 26275
|
_Casey_USNM_=_Strang_luteicornis.jpg)
Ophistomis eversa Casey Specimen Type: syntype Institution: NMNH United States National Museum, Washington, DC, USA Collection Location: Illinois 26276
|
_FSCA.jpg)
Institution: FSCA Florida State Collection of Arthropods, Gainesville, FL, USA Photographer: Mike Thomas 2964
|
_LGB.jpg)
Photographer: Larry G. Bezark 2965
|
|