_Giesbert_Zacapa_Guatemala_UCB.jpg)
Specimen Type: holotype Sex: m Institution: UCB Essig Museum of Entomology, Berkeley, California, USA Photographer: Larry G. Bezark Collection Location: 2 km South of San Lorenzo, Zacapa, Guatemala 18621
|
_Giesbert_Zacapa_Guatemala_UCB.jpg)
Specimen Type: allotype Sex: f Institution: UCB Essig Museum of Entomology, Berkeley, California, USA Photographer: Larry G. Bezark Collection Location: 2 km South of San Lorenzo, Zacapa, Guatemala 18620
|
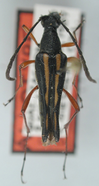
_Giesbert_UCB.jpg)
Specimen Type: paratype Institution: UCB Essig Museum of Entomology, Berkeley, California, USA Photographer: Larry G. Bezark 13692
|
|