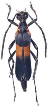
_Thomson_MNHN_JAC_=_Strangalia_flavocincta.jpg)
Ophistomis flavocincta Thomson Specimen Type: holotype Institution: MNHN Museum of Natural History Paris, France Photographer: John Chemsak Collection Location: Brazil 17855
|
_Melzer_MZSP_SWL_=_Strangalia.jpg)
Ophistomis tristis Melzer Specimen Type: holotype Sex: m Institution: MZSP Museu de Zoologia da Universidade de São Paulo, Brazil Photographer: Steve Lingafelter Collection Location: Passa Quatro, Minas Gerais, Brazil 11331
|
 Melzer MZSP Itatiaia, Rio De Janeiro, Brazil now Strangalia flavocincta SS.jpg)
Ophistomis latifasciata Melzer Specimen Type: holotype Sex: f Institution: MZSP Museu de Zoologia da Universidade de São Paulo, Brazil Photographer: Antonio Santos-Silva Collection Location: Itatiaia National Park, Rio De Janeiro, Brazil 89537
|
 Melzer MZSP Itatiaia, Rio De Janeiro, Brazil now Strangalia flavocincta SS.jpg)
Ophistomis latifasciata Melzer Specimen Type: holotype Sex: f Institution: MZSP Museu de Zoologia da Universidade de São Paulo, Brazil Photographer: Antonio Santos-Silva Collection Location: Itatiaia National Park, Rio De Janeiro, Brazil 89538
|

Ophistomis flavocincta Thomson Institution: BMNH British Museum Natural History, London, UK Photographer: John Chemsak Collection Location: Brazil 17856
|
 (Thomson) MZSP Córrego do Itá, Espírito Santo, Brazil SS.jpg)
Sex: f Institution: MZSP Museu de Zoologia da Universidade de São Paulo, Brazil Photographer: Antonio Santos-Silva Collection Location: Córrego do Itá, Espírito Santo, Brazil 89539
|
 (Thomson) MZSP Córrego do Itá, Espírito Santo, Brazil SS.jpg)
Sex: f Institution: MZSP Museu de Zoologia da Universidade de São Paulo, Brazil Photographer: Antonio Santos-Silva Collection Location: Córrego do Itá, Espírito Santo, Brazil 89540
|
 (Thomson) MZSP Córrego do Itá, Espírito Santo, Brazil SS.jpg)
Sex: f Institution: MZSP Museu de Zoologia da Universidade de São Paulo, Brazil Photographer: Antonio Santos-Silva Collection Location: Córrego do Itá, Espírito Santo, Brazil 89541
|
_Rev_Bras_Ent.jpg)
20729
|
 Thomson MEFEIS Barra do Ribeiro, Rio Grande do Sul, Brazil SS.jpg)
Sex: f Institution: MEFE Museu de Ent da Faculdade de Engenharia de Ilha Solteira, Univ Estadual, Sao Paolo, Brazil Photographer: Antonio Santos-Silva Collection Location: Barra do Ribeiro, Rio Grande do Sul, Brazil 81009
|
_Itatiaia_RJ_Brazil.jpg)
Collection Location: Itatiaia, Rio de Janeiro, Brazil 30231
|