_Bates_BMNH_JAC_=_Strangalia_beltii.jpg)
Ophistomis beltii Bates Specimen Type: holotype Sex: f Institution: BMNH British Museum Natural History, London, UK Photographer: John Chemsak Collection Location: Santo Domingo, Chontales, Nicaragua 17841
|
_Bates_BMNH_Hespenheide_FTH_=_Strangalia.jpg)
Ophistomis beltii Bates Specimen Type: holotype Sex: f Institution: BMNH British Museum Natural History, London, UK Photographer: Henry Hespenheide Collection Location: Santo Domingo, Chontales, Nicaragua 17842
|
_Giesbert_CAS_type_15010_=_S_beltii.jpg)
Strangalia maculifrons Giesbert Specimen Type: holotype Sex: m Institution: CAS California Academy of Sciences, San Francisco, CA, USA Photographer: Larry G. Bezark Collection Location: Cerro Campana, Panama 24167
|
_Giesbert_CAS_type_15010_=_S_beltii.jpg)
Strangalia maculifrons Giesbert Specimen Type: holotype Sex: m Institution: CAS California Academy of Sciences, San Francisco, CA, USA Photographer: Larry G. Bezark Collection Location: Cerro Campana, Panama 24168
|
_Giesbert_UCB_=_Strangalia_beltii_(Bates).jpg)
Strangalia maculifrons Giesbert Specimen Type: paratype Institution: UCB Essig Museum of Entomology, Berkeley, California, USA Photographer: Larry G. Bezark 13697
|
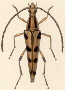
.jpg)
13649
|
_BCA.jpg)
Institution: BCA Biologia Centrali Americana 13650
|
.jpg)
13651
|
|