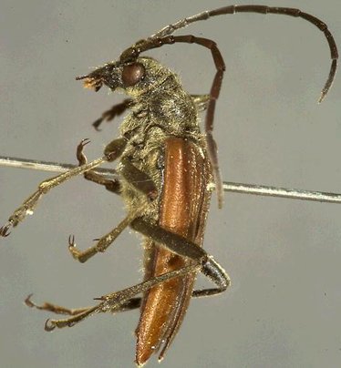
_Haldeman_MCZ_=_Stenocorus.jpg)
Toxotus vestitus Haldeman Specimen Type: holotype Institution: MCZ Museum of Comparative Zoology, Harvard University, Cambridge, MA, USA Photographer: P. Naskrecki, P. Perkins, and B. Farrell Collection Location: Oregon 3132
|
_Haldeman_MCZ_=_Stenocorus.jpg)
Toxotus vestitus Haldeman Specimen Type: holotype Institution: MCZ Museum of Comparative Zoology, Harvard University, Cambridge, MA, USA Photographer: P. Naskrecki, P. Perkins, and B. Farrell Collection Location: Oregon 3133
|
_Haldeman_MCZ_=_Stenocorus.jpg)
Toxotus vestitus Haldeman Specimen Type: holotype Institution: MCZ Museum of Comparative Zoology, Harvard University, Cambridge, MA, USA Photographer: P. Naskrecki, P. Perkins, and B. Farrell Collection Location: Oregon 3134
|
_Haldeman_MCZ_=_Stenocorus.jpg)
Toxotus vestitus Haldeman Specimen Type: holotype Institution: MCZ Museum of Comparative Zoology, Harvard University, Cambridge, MA, USA Photographer: P. Naskrecki, P. Perkins, and B. Farrell Collection Location: Oregon 3135
|
_Casey_USNM_=_vestitus.jpg)
Stenocorus aureatus gilvicornis Casey Specimen Type: holotype Sex: m Institution: NMNH United States National Museum, Washington, DC, USA Collection Location: California 26583
|
_Casey_USNM_=_vestitus.jpg)
Stenocorus oregonensis Casey Specimen Type: holotype Sex: f Institution: NMNH United States National Museum, Washington, DC, USA Collection Location: Bull Run, Clackamas County, Oregon 26585
|
_Casey_USNM_=_vestitus.jpg)
Stenocorus sericatus Casey Specimen Type: holotype Sex: f Institution: NMNH United States National Museum, Washington, DC, USA Collection Location: California 26586
|
_Casey_USNM_=_vestitus.jpg)
Stenocorus subpinguis Casey Specimen Type: holotype Sex: f Institution: NMNH United States National Museum, Washington, DC, USA Collection Location: Utah 26587
|
_LeConte_MCZ_=_Stenocorus_vestitus_(Haldeman).jpg)
Toxotus virgatus LeConte Specimen Type: syntype Institution: MCZ Museum of Comparative Zoology, Harvard University, Cambridge, MA, USA Photographer: P. Naskrecki, P. Perkins, and B. Farrell Collection Location: Oregon or British Columbia, Canada 3136
|
_LeConte_MCZ_=_Stenocorus_vestitus_(Haldeman).jpg)
Toxotus virgatus LeConte Specimen Type: syntype Institution: MCZ Museum of Comparative Zoology, Harvard University, Cambridge, MA, USA Photographer: P. Naskrecki, P. Perkins, and B. Farrell Collection Location: Oregon or British Columbia, Canada 3137
|
_LeConte_MCZ_=_Stenocorus_vestitus_(Haldeman).jpg)
Toxotus virgatus LeConte Specimen Type: syntype Institution: MCZ Museum of Comparative Zoology, Harvard University, Cambridge, MA, USA Photographer: P. Naskrecki, P. Perkins, and B. Farrell Collection Location: Oregon or British Columbia, Canada 3138
|
_LeConte_MCZ_=_Stenocorus_vestitus_(Haldeman).jpg)
Toxotus virgatus LeConte Specimen Type: syntype Institution: MCZ Museum of Comparative Zoology, Harvard University, Cambridge, MA, USA Photographer: P. Naskrecki, P. Perkins, and B. Farrell Collection Location: Oregon or British Columbia, Canada 3139
|
_Casey_USNM_=_vestitus.jpg)
Stenocorus aureatus Casey Specimen Type: syntype Institution: NMNH United States National Museum, Washington, DC, USA Collection Location: California 26582
|
_Casey_USNM_=_vestitus.jpg)
Stenocorus flaccidus Casey Specimen Type: syntype Institution: NMNH United States National Museum, Washington, DC, USA Collection Location: California 26584
|
.jpg)
2873
|
|