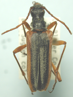
_LeConte_MCZ_=_Stenocorus.jpg)
Toxotus nubifer LeConte Specimen Type: holotype Institution: MCZ Museum of Comparative Zoology, Harvard University, Cambridge, MA, USA Photographer: P. Naskrecki, P. Perkins, and B. Farrell Collection Location: Tejon, California 3120
|
_LeConte_MCZ_=_Stenocorus.jpg)
Toxotus nubifer LeConte Specimen Type: holotype Institution: MCZ Museum of Comparative Zoology, Harvard University, Cambridge, MA, USA Photographer: P. Naskrecki, P. Perkins, and B. Farrell Collection Location: Tejon, California 3121
|
_LeConte_MCZ_=_Stenocorus.jpg)
Toxotus nubifer LeConte Specimen Type: holotype Institution: MCZ Museum of Comparative Zoology, Harvard University, Cambridge, MA, USA Photographer: P. Naskrecki, P. Perkins, and B. Farrell Collection Location: Tejon, California 3122
|
_LeConte_MCZ_=_Stenocorus.jpg)
Toxotus nubifer LeConte Specimen Type: holotype Institution: MCZ Museum of Comparative Zoology, Harvard University, Cambridge, MA, USA Photographer: P. Naskrecki, P. Perkins, and B. Farrell Collection Location: Tejon, California 3123
|
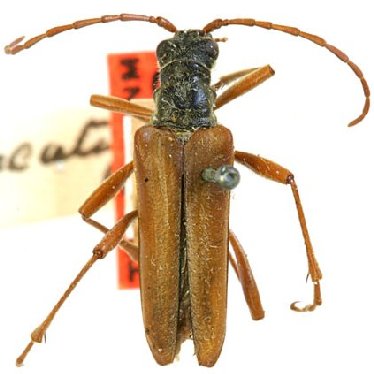
_Casey_USNM_=_nubifer.jpg)
Stenocorus apiciventris Casey Specimen Type: holotype Sex: f Institution: NMNH United States National Museum, Washington, DC, USA Collection Location: Santa Cruz Mountains, California 26570
|
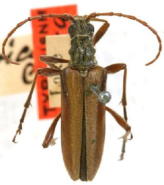
_Casey_USNM_=_nubifer.jpg)
Stenocorus hesperus Casey Specimen Type: holotype Sex: f Institution: NMNH United States National Museum, Washington, DC, USA Collection Location: Lake County, California 26571
|
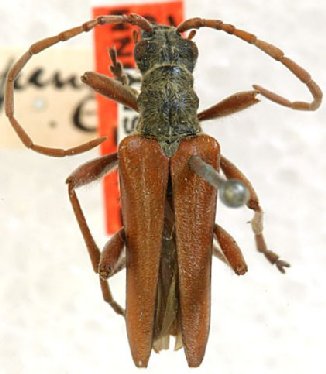
_Casey_USNM_=_nubifer.jpg)
Stenocorus lateralis Casey Specimen Type: holotype Sex: m Institution: NMNH United States National Museum, Washington, DC, USA Collection Location: summit of Mount Diablo, Contra Costa County, near San Francisco, Calif 26572
|
_Casey_USNM_=_Stenocorus_nubifer.jpg)
Stenocorus marginellus Casey Specimen Type: holotype Sex: m Institution: NMNH United States National Museum, Washington, DC, USA Collection Location: Mount Wilson, California 26573
|
_Casey_USNM_=_nubifer.jpg)
Stenocorus parviceps Casey Specimen Type: holotype Sex: f Institution: NMNH United States National Museum, Washington, DC, USA Collection Location: Lake County, California 26576
|
_Casey_USNM_=_Stenocorus_nubifer.jpg)
Stenocorus plagiatus Casey Specimen Type: holotype Sex: f Institution: NMNH United States National Museum, Washington, DC, USA Collection Location: Cisco, Placer County, California 26577
|
_Casey_USNM_=_nubifer.jpg)
Stenocorus rufipennis Casey Specimen Type: holotype Sex: m Institution: NMNH United States National Museum, Washington, DC, USA Collection Location: California 26578
|
_Casey_USNM_=_nubifer.jpg)
Stenocorus tenellus Casey Specimen Type: syntype Institution: NMNH United States National Museum, Washington, DC, USA Collection Location: Lake County, California 26579
|
_Casey_USNM_=_nubifer.jpg)
Stenocorus trunculatus Casey Specimen Type: syntype Sex: f Institution: NMNH United States National Museum, Washington, DC, USA Collection Location: Lake County, California 26580
|
_Casey_USNM_=_nubifer.jpg)
Stenocorus uteanus Casey Specimen Type: syntype Sex: m Institution: NMNH United States National Museum, Washington, DC, USA Collection Location: Stockton or Eureka, California 26581
|
_Casey_USNM_=_Stenocorus_nubifer.jpg)
Stenocorus morio Casey Specimen Type: syntype Institution: NMNH United States National Museum, Washington, DC, USA Collection Location: Stockton, Provo or Miner's Peak, Utah 26574
|
_Casey_USNM_=_nubifer.jpg)
Stenocorus pacificus Casey Specimen Type: syntype Institution: NMNH United States National Museum, Washington, DC, USA Collection Location: Lake County, California 26575
|
_LGB.jpg)
Photographer: Larry G. Bezark 2868
|
|