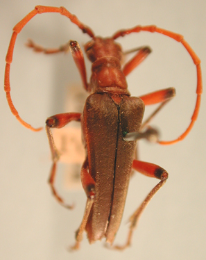
_Newman_BMNH_Trenton_Falls_NY_nowStenocorus_cylind_LGB.jpg)
Toxotus dives Newman Specimen Type: holotype Institution: BMNH British Museum Natural History, London, UK Photographer: Larry G. Bezark Collection Location: Trenton Falls, New York 47383
|
_Newman_BMNH_Trenton_Falls_NY_nowStenocorus_cylind_LGB.jpg)
Toxotus dives Newman Specimen Type: holotype Institution: BMNH British Museum Natural History, London, UK Photographer: Larry G. Bezark Collection Location: Trenton Falls, New York 47384
|
_CAS.jpg)
Institution: CAS California Academy of Sciences, San Francisco, CA, USA Photographer: Larry G. Bezark 2866
|
|