_Podany_CNC_Nable_Ontario_Can_Pseugogaur_Lap.jpg)
Gaurotes abdominalis micans Podany Specimen Type: holotype Institution: CNC Canadian National Collection of Insects, Ottawa, Ontario, Canada Photographer: Serge Laplante, photograph and data Determiner: Copyright of
Agriculture & Agri Food Canada Collection Location: Nable, Ontario, Canada 62964
|
_Podany_CNC_Nable_Ontario_Can_Pseugogaur_Lap.jpg)
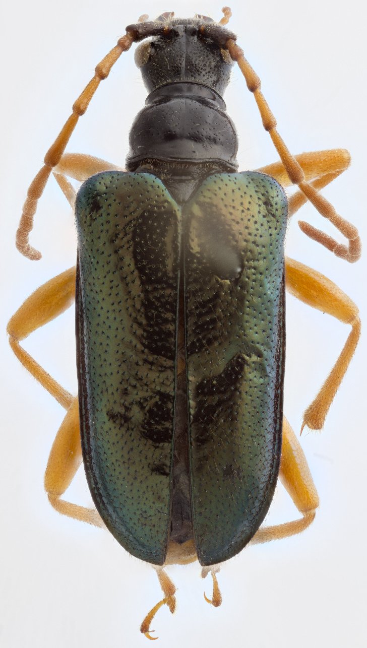
Gaurotes abdominalis micans Podany Specimen Type: holotype Institution: CNC Canadian National Collection of Insects, Ottawa, Ontario, Canada Photographer: Serge Laplante, photograph and data Determiner: Copyright of
Agriculture & Agri Food Canada Collection Location: Nable, Ontario, Canada 62965
|
_Podany_CNC_Nable_Ontario_Can_Pseugogaur_Lap.jpg)
Gaurotes abdominalis micans Podany Specimen Type: holotype Institution: CNC Canadian National Collection of Insects, Ottawa, Ontario, Canada Photographer: Serge Laplante, photograph and data Determiner: Copyright of
Agriculture & Agri Food Canada Collection Location: Nable, Ontario, Canada 62966
|
_LGB.jpg)
Photographer: Larry G. Bezark 2648
|
|