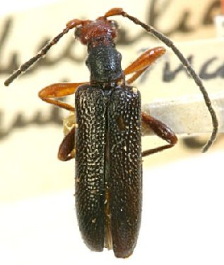
_LeConte_MCZ_=_Pidonia_(Thesalia).jpg)
Leptura gnathoides LeConte Specimen Type: holotype Sex: m Institution: MCZ Museum of Comparative Zoology, Harvard University, Cambridge, MA, USA Photographer: P. Naskrecki, P. Perkins, and B. Farrell Collection Location: Oregon 1548
|
_LeConte_MCZ_=_Pidonia_(Thesalia).jpg)
Leptura gnathoides LeConte Specimen Type: holotype Sex: m Institution: MCZ Museum of Comparative Zoology, Harvard University, Cambridge, MA, USA Photographer: P. Naskrecki, P. Perkins, and B. Farrell Collection Location: Oregon 1549
|
_LeConte_MCZ_=_Pidonia_(Thesalia).jpg)
Leptura gnathoides LeConte Specimen Type: holotype Sex: m Institution: MCZ Museum of Comparative Zoology, Harvard University, Cambridge, MA, USA Photographer: P. Naskrecki, P. Perkins, and B. Farrell Collection Location: Oregon 1550
|
_LeConte_MCZ_=_Pidonia_(Thesalia).jpg)
Leptura gnathoides LeConte Specimen Type: holotype Sex: m Institution: MCZ Museum of Comparative Zoology, Harvard University, Cambridge, MA, USA Photographer: P. Naskrecki, P. Perkins, and B. Farrell Collection Location: Oregon 1551
|
_Casey_USNM_=_Pidonia_gnathoides.jpg)
Thesalia rubriceps Casey Specimen Type: holotype Sex: m Institution: NMNH United States National Museum, Washington, DC, USA Collection Location: Marin County, California 26640
|
_Leng_AMNH_=_WA_Pidonia_gnathoides.jpg)
Acmaeops lisa Leng Specimen Type: holotype Institution: AMNH American Museum of Natural History, New York, NY, USA Collection Location: Washington 27671
|
_LGB.jpg)
Photographer: Larry G. Bezark 2494
|
_LGB_replacement.jpg)
Photographer: Larry G. Bezark 3479
|
_LGB_replacement.jpg)
Photographer: Larry G. Bezark 3480
|
|