_Newman_BMNH_JAC_=_Pidonia_ruficollis_(Say).jpg)
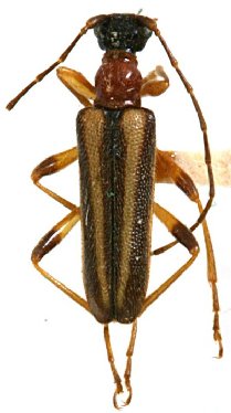
Leptura vibex Newman Specimen Type: holotype Sex: m Institution: BMNH British Museum Natural History, London, UK Photographer: John Chemsak Collection Location: Indiana 17110
|
_Casey_USNM_=_Pidonia_ruficollis.jpg)
Hapalosalia vibex fragilis Casey Specimen Type: holotype Sex: m Institution: NMNH United States National Museum, Washington, DC, USA Collection Location: Indiana 25915
|