New Search Family, Subfamily and Tribe List

SubFamily Lepturinae

Tribe Pidoniini
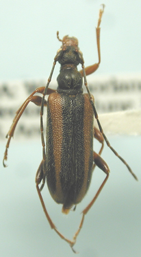
Pidonia densicollis (Casey, 1914)

Hapalosalia densicollis Casey
Specimen Type: holotype
Sex: m
Institution: NMNH United States National Museum, Washington, DC, USA
Collection Location: Black Mountains, North Carolina
25912


Photographer: Larry G. Bezark
2493

130425