_Horn_MCZ_=_Pidonia.jpg)
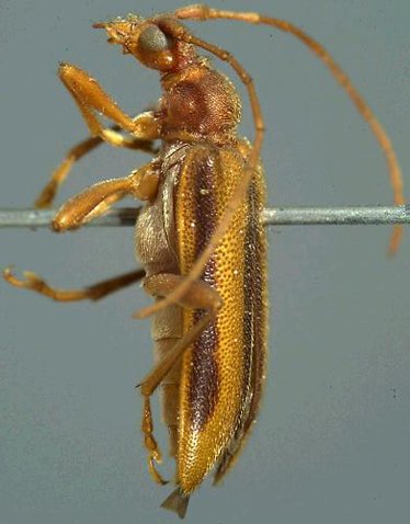
Leptura aurata Horn Specimen Type: holotype Institution: MCZ Museum of Comparative Zoology, Harvard University, Cambridge, MA, USA Photographer: P. Naskrecki, P. Perkins, and B. Farrell Collection Location: Allegheny Ridge, Virginia 1486
|
_Horn_MCZ_=_Pidonia.jpg)
Leptura aurata Horn Specimen Type: holotype Institution: MCZ Museum of Comparative Zoology, Harvard University, Cambridge, MA, USA Photographer: P. Naskrecki, P. Perkins, and B. Farrell Collection Location: Allegheny Ridge, Virginia 1487
|
_Horn_MCZ_=_Pidonia.jpg)
Leptura aurata Horn Specimen Type: holotype Institution: MCZ Museum of Comparative Zoology, Harvard University, Cambridge, MA, USA Photographer: P. Naskrecki, P. Perkins, and B. Farrell Collection Location: Allegheny Ridge, Virginia 1488
|
_Horn_MCZ_=_Pidonia.jpg)
Leptura aurata Horn Specimen Type: holotype Institution: MCZ Museum of Comparative Zoology, Harvard University, Cambridge, MA, USA Photographer: P. Naskrecki, P. Perkins, and B. Farrell Collection Location: Allegheny Ridge, Virginia 1489
|
_LGB.jpg)
Photographer: Larry G. Bezark 2492
|
|