_Bates_BMNH_Pinos_Atos_Chih_Mex_nowOrthochoriol_LGB.jpg)
Euryptera chihuahuae Bates Specimen Type: holotype Sex: f Institution: BMNH British Museum Natural History, London, UK Photographer: Larry G. Bezark Collection Location: Pinos Atos, Chihuahua, Mexico 16612
|
_Bates_BMNH_JAC_=_Orthochoriolaus.jpg)
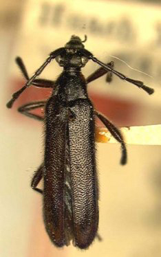
Euryptera chihuahuae Bates Specimen Type: holotype Sex: f Institution: BMNH British Museum Natural History, London, UK Photographer: John Chemsak Collection Location: Pinos Atos, Chihuahua, Mexico 16613
|
_Schaeffer_USNM_=_Othrochoriolaus_chihuahuae_(Bates).jpg)
Euryptera huachucae Schaeffer Specimen Type: holotype Institution: NMNH United States National Museum, Washington, DC, USA Photographer: Steve Lingafelter Collection Location: Miller Canyon, Huachuca Mountains, Arizona 1195
|
_Linsley_BMNH_JAC_=_Orthochoriolaus_chihuahuae_(Bates).jpg)
Euryptera batesi Linsley Specimen Type: holotype Sex: m Institution: BMNH British Museum Natural History, London, UK Photographer: John Chemsak Collection Location: Pinos Atos, Chihuahua, Mexico 16609
|
_LGB.jpg)
Photographer: Larry G. Bezark 2321
|
|