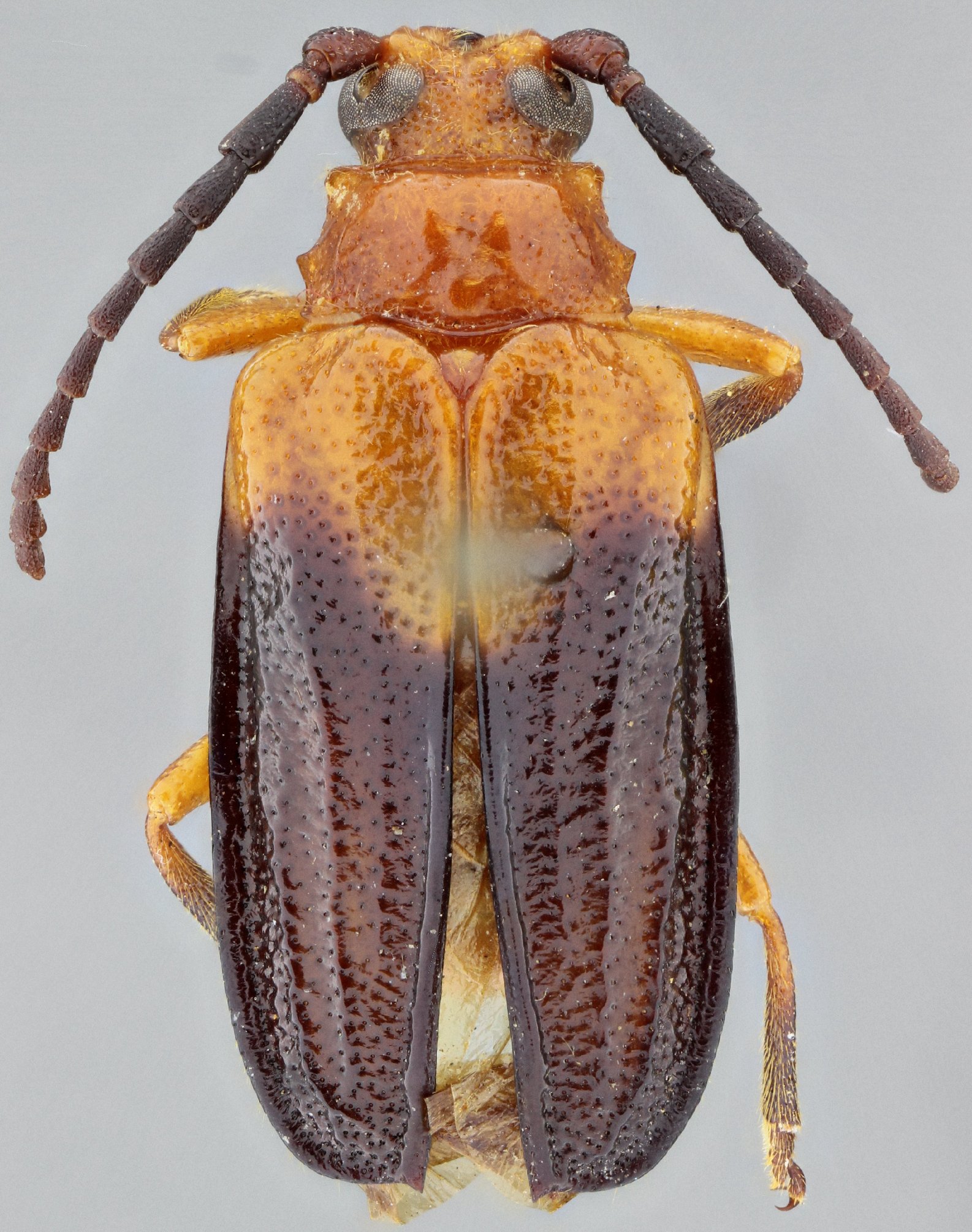
_Galileo_ZSM_Tarapoto_San_Martin_Peru_SWL.jpg)
Specimen Type: holotype Sex: m Institution: ZSM Zoologische Staatssammlung, München, Germany Photographer: Steve Lingafelter Collection Location: Tarapoto San Martin, Peru 29719
|
_Galileo_MZSP_Tarapoto_San_Martin_Peru_SS.jpg)
Specimen Type: paratype Sex: m Institution: MZSP Museu de Zoologia da Universidade de São Paulo, Brazil Photographer: Antonio Santos-Silva Collection Location: Tarapoto, San Martin, Peru 68224
|