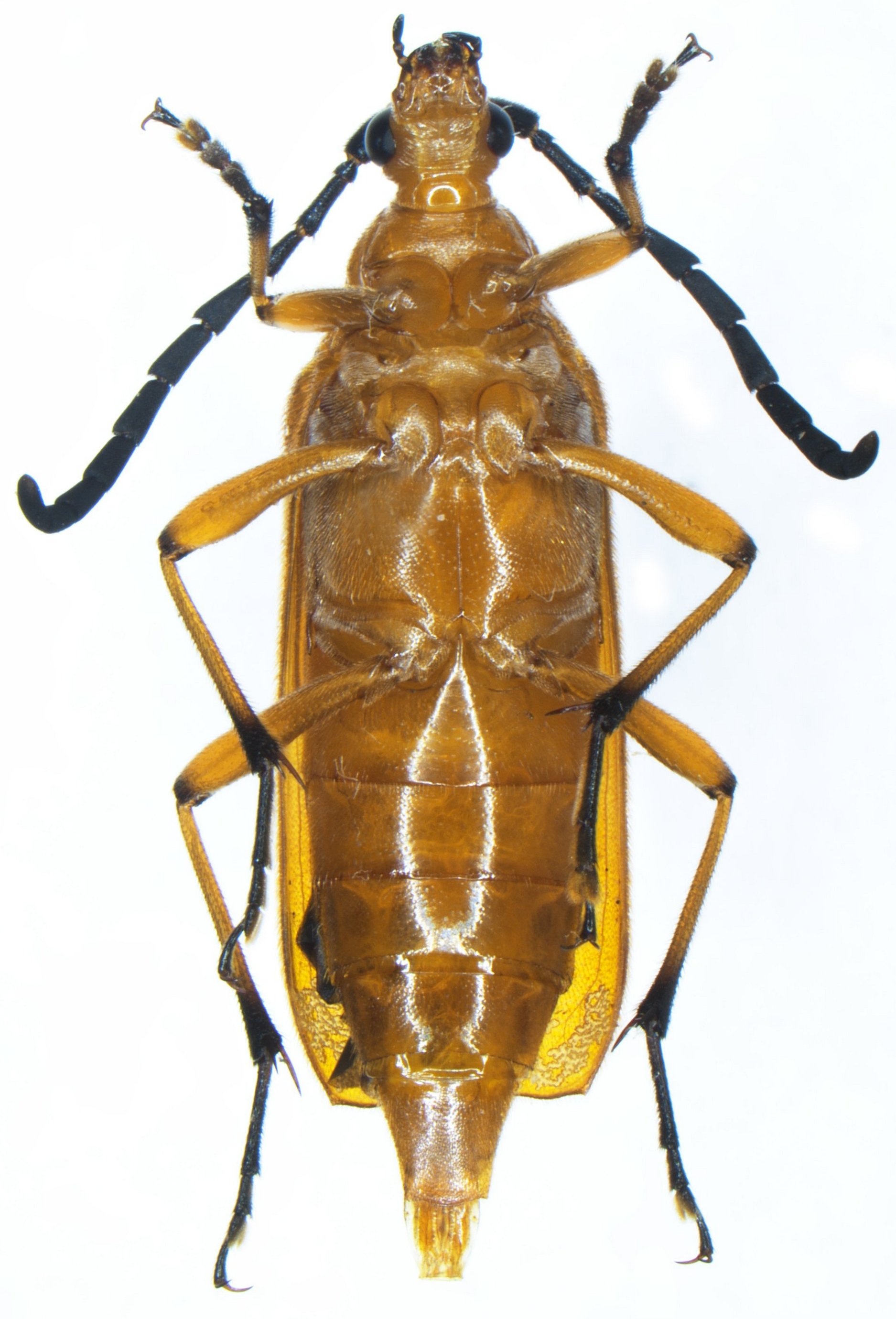
_Schaeffer_Arizona_USNM_=_Megachoriolaus.jpg)
Leptura ignita Schaeffer Specimen Type: holotype Sex: f Institution: NMNH United States National Museum, Washington, DC, USA Photographer: Steve Lingafelter Collection Location: Huachuca Mountains, Arizona 1562
|
_Schaeffer_NMNH_JAC_=_Megachoriolaus_ignitus.jpg)
Leptura ignita Schaeffer Specimen Type: holotype Sex: f Institution: NMNH United States National Museum, Washington, DC, USA Photographer: John Chemsak Collection Location: Huachuca Mountains, Arizona 17087
|
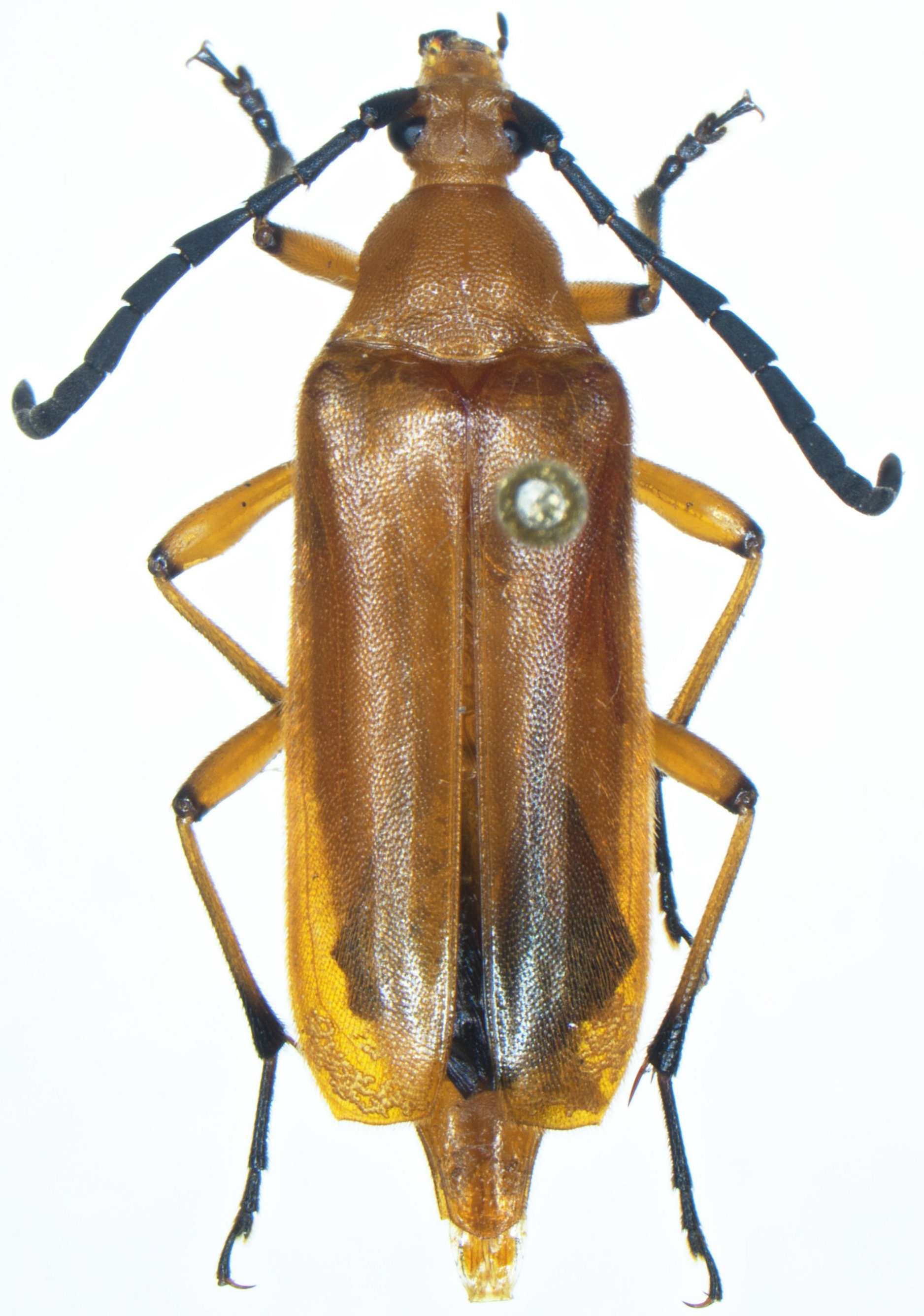
_Linsley_CAS_7638.jpg)
Euryptera breviceps Linsley Specimen Type: holotype Sex: m Institution: CAS California Academy of Sciences, San Francisco, CA, USA Photographer: Larry G. Bezark Collection Location: Huachuca Mountains, Arizona 23438
|
_Linsley_JAC_=_Megachoriolaus_ignitus_(Schaeffer).jpg)
Euryptera breviceps Linsley Specimen Type: holotype Sex: m Institution: CAS California Academy of Sciences, San Francisco, CA, USA Photographer: John Chemsak Collection Location: Huachuca Mountains, Arizona 16611
|
 Sycamore Canyon, Huachuca Mtns, Cochise Co, Arizona SWL.jpg)
Institution: Lingafelter Collection Photographer: Steve Lingafelter Collection Location: Sycamore Canyon, Huachuca Mountains, Cochise County, Arizona 95666
|
 (Schaeffer) Sycamore Canyon, Huachuca Mtns, Cochise Co, Arizona SWL.jpg)
Institution: Lingafelter Collection Photographer: Steve Lingafelter Collection Location: Sycamore Canyon, Huachuca Mountains, Cochise County, Arizona 95667
|
 (Schaeffer) Sycamore Canyon, Huachuca Mtns, Cochise Co, Arizona SWL.jpg)
Institution: Lingafelter Collection Photographer: Steve Lingafelter Collection Location: Sycamore Canyon, Huachuca Mountains, Cochise County, Arizona 95668
|
|