_CNC_.jpg)
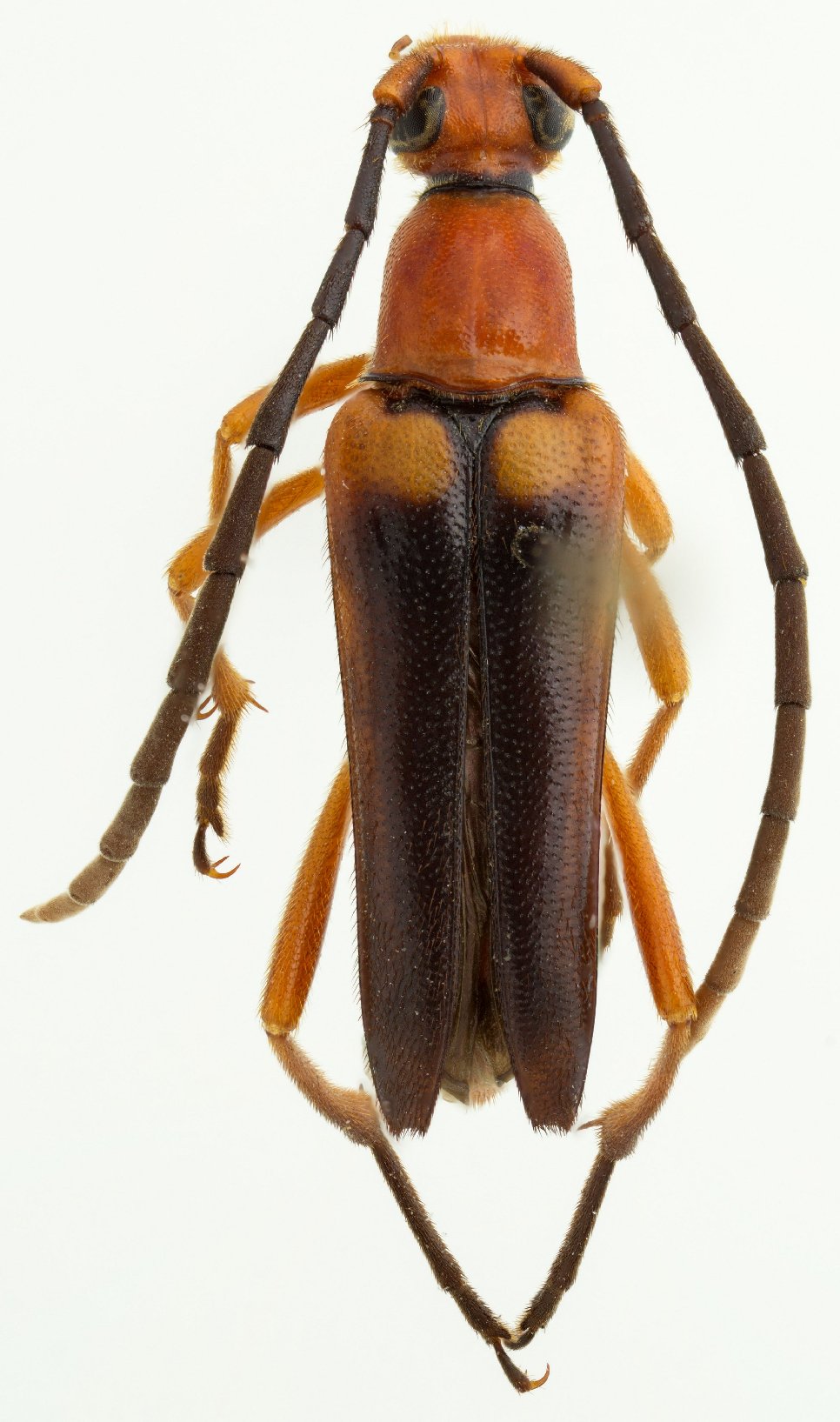
Neobellamira sequoiae Hopping Specimen Type: holotype Sex: m Institution: CNC Canadian National Collection of Insects, Ottawa, Ontario, Canada Photographer: Serge Laplante, photograph and data Determiner: Copyright of
Agriculture & Agri Food Canada Collection Location: Sequoia National Park, California 62997
|
_Hopping_CNC_Sequoia_NP_Calif_Leptura_Lap.jpg)
Neobellamira sequoiae Hopping Specimen Type: holotype Sex: m Institution: CNC Canadian National Collection of Insects, Ottawa, Ontario, Canada Photographer: Serge Laplante, photograph and data Determiner: Copyright of
Agriculture & Agri Food Canada Collection Location: Sequoia National Park, California 63022
|
_Hopping_CNC_Sequoia_NP_Calif_Leptura_Lap.jpg)
Neobellamira sequoiae Hopping Specimen Type: holotype Sex: m Institution: CNC Canadian National Collection of Insects, Ottawa, Ontario, Canada Photographer: Serge Laplante, photograph and data Determiner: Copyright of
Agriculture & Agri Food Canada Collection Location: Sequoia National Park, California 63023
|
_LGB.jpg)
Sex: m Institution: LGBC Larry G. Bezark Collection, Sacramento, California, USA Photographer: Larry G. Bezark Collection Location: Gates Canyon, Solano County, California 1674
|
|