New Search Family, Subfamily and Tribe List

SubFamily Lamiinae

Tribe Saperdini
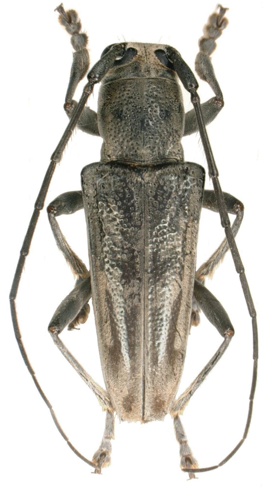
Glenea paragrisea Vitali 2025

Specimen Type: holotype
Sex: m
Institution: Vitali Collection
Photographer: Francesco Vitali
Collection Location: Banggai, Peleng Island, Sulawesi
102040

130425