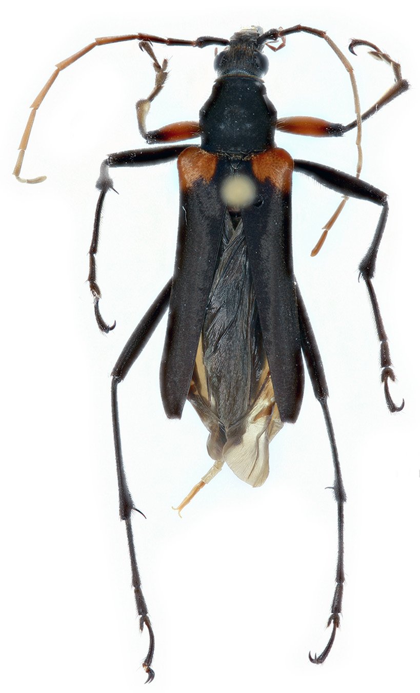
 Jeong Vives McKenna CAS Atsimo Andrefana Region, Betioky District, Toliara, Madagascar Jeong.jpg)
Specimen Type: holotype Sex: m Institution: CAS California Academy of Sciences, San Francisco, CA, USA Photographer: Soo-Hyun Jeong Collection Location: Atsimo Andrefana Region, Betioky District, Toliara, Madagascar 101724
|
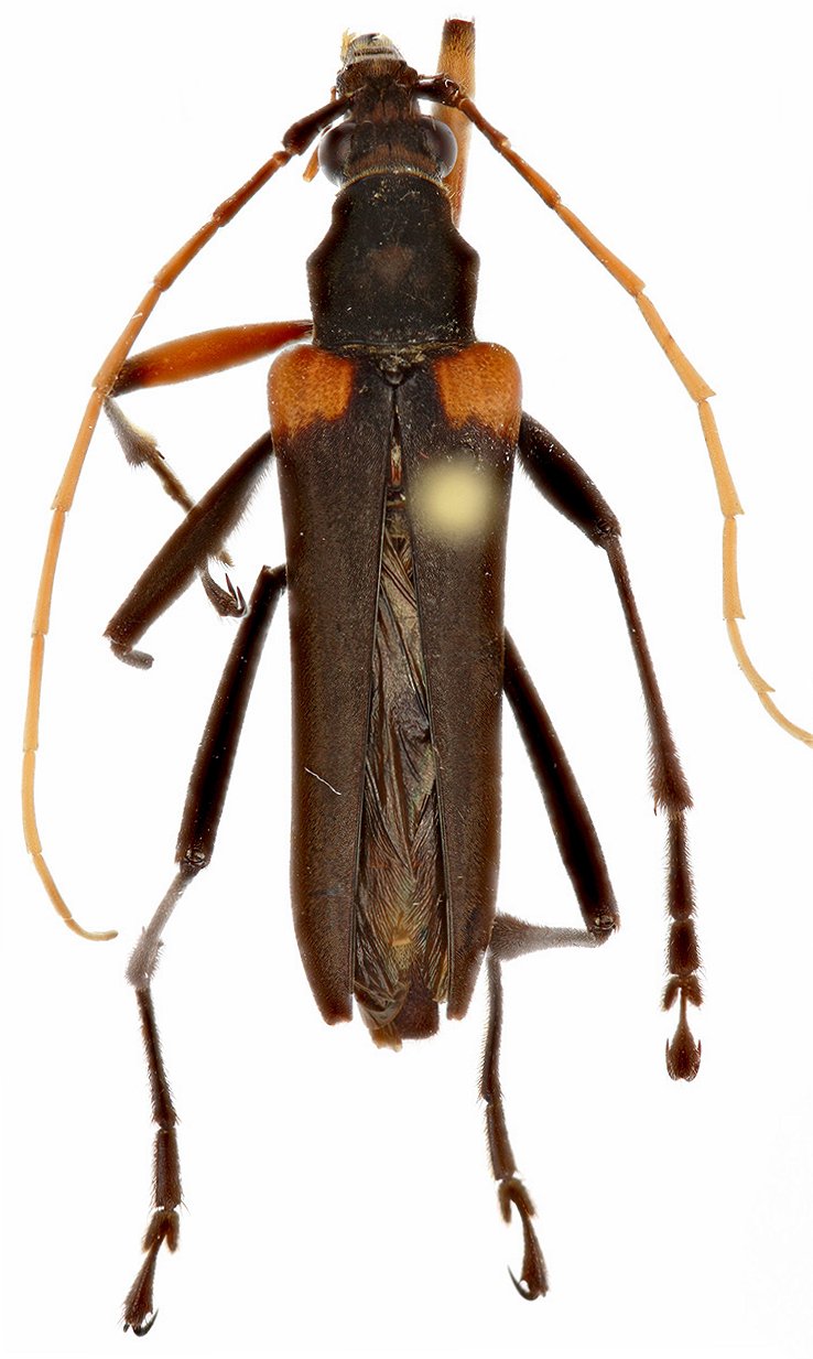
 Jeong Vives McKenna CAS Atsimo Andrefana Region, Betioky District, Toliara, Madagascar Jeong.jpg)
Specimen Type: holotype Sex: m Institution: CAS California Academy of Sciences, San Francisco, CA, USA Photographer: Soo-Hyun Jeong Collection Location: Atsimo Andrefana Region, Betioky District, Toliara, Madagascar 101725
|
 Jeong Vives McKenna CAS Atsimo Andrefana Region, Betioky District, Toliara, Madagascar Jeong.jpg)
Specimen Type: holotype Sex: m Institution: CAS California Academy of Sciences, San Francisco, CA, USA Photographer: Soo-Hyun Jeong Collection Location: Atsimo Andrefana Region, Betioky District, Toliara, Madagascar 101726
|
 Jeong Vives McKenna CAS Atsimo Andrefana Region, Betioky District, Toliara, Madagascar Jeong.jpg)
Specimen Type: paratype Sex: f Institution: CAS California Academy of Sciences, San Francisco, CA, USA Photographer: Soo-Hyun Jeong Collection Location: Atsimo Andrefana Region, Betioky District, Toliara, Madagascar 101727
|
 Jeong Vives McKenna CAS Atsimo Andrefana Region, Betioky District, Toliara, Madagascar Jeong.jpg)
Specimen Type: paratype Sex: f Institution: CAS California Academy of Sciences, San Francisco, CA, USA Photographer: Soo-Hyun Jeong Collection Location: Atsimo Andrefana Region, Betioky District, Toliara, Madagascar 101728
|
 Jeong Vives McKenna MNHN Zombitsky Reserve, Sakaraha Station, Matsabory, Madagascar.jpg)
Specimen Type: paratype Sex: f Institution: MNHN Museum of Natural History Paris, France Photographer: Soo-Hyun Jeong Collection Location: Zombitsky Reserve, Sakaraha Station, Matsabory, Madagascar 101729
|
 Jeong Vives McKenna MNHN Zombitsky Reserve, Sakaraha Station, Matsabory, Madagascar.jpg)
Specimen Type: paratype Sex: f Institution: MNHN Museum of Natural History Paris, France Photographer: Soo-Hyun Jeong Collection Location: Zombitsky Reserve, Sakaraha Station, Matsabory, Madagascar 101730
|
|