New Search Family, Subfamily and Tribe List

SubFamily Lamiinae

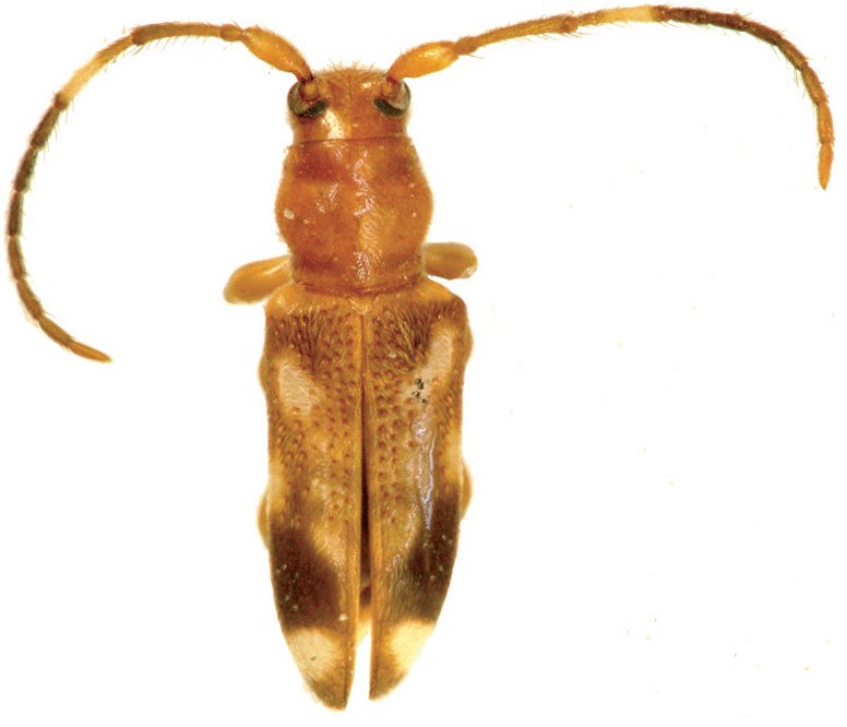
Tribe Acanthocinini
Stenellipsis punctatoeburnea Vives & Sudre 2024

Specimen Type: holotype
Sex: m
Institution: MNHN Museum of Natural History Paris, France
Photographer: Eduard Vives
Collection Location: Mandjelia, New Caledonia
101655

130425